Болезни рассады томатов и их лечение
Совсем скоро настанет пора посева семян томатов на рассаду. Всем огородникам хочется вырастить здоровые сеянцы, чтобы летом получить хороший урожай всеми любимых помидоров.
Чтобы это сделать, нужно немало потрудиться. Часто случается, что не удаётся получить качественные саженцы по тем или иным причинам. Одной из самых распространённых причин такой неудачи являются болезни рассады томатов. Как избежать этой напасти? Для этого необходимо знать врага в лицо. Описание заболеваний с фотографиями и способы их лечения в домашних условиях рассмотрим в этой статье.
Какие бывают заболевания томатной рассады?

Посеяв семена томатов, мы с нетерпением ждём, когда появятся первые ростки, однако, с первыми всходами возрастает опасность заболеваемости рассады различными недугами, которые вызываются разными причинами. Рассмотрим разновидности болезней помидорных сеянцев и причины их возникновения.
Заболевания рассады можно подразделить на:
- грибковые;
- вирусные;
- бактериальные;
- неинфекционные.
Первые вызываются различными грибками, возникающими при неправильном уходе за рассадой (чрезмерном поливе, в результате которого возникает застой влаги, и перепадах температур).
Причинами вирусных болезней могут быть больные семена, недостаток питательных элементов почвы, вредители, распространяющие вирус, неблагоприятные условия выращивания.
Бактериальные возникают также из-за неправильных условий содержания рассады в помещении: высокой влажности и температуры воздуха. Помимо этого, причиной таких болезней может стать заражённая почва и некачественные семена.
Неинфекционные болезни связаны с нарушением минерального питания почвы, в которой произрастает рассада. Причём недуг может возникнуть как при нехватке минеральных веществ, так и при неправильном их внесении.
Чтобы выбрать адекватные методы лечения, необходимо точно определить характер заболевания и причины, его вызвавшие.
Грибковые болезни
К грибковым относятся такие заболевания, как:
- фитофтороз;
- чёрная ножка;
- белая пятнистость листьев (септориоз);
- фузариозное увядание;
- гнили — чёрная, белая, серая;
- кладоспориоз;
- альтернариоз;
- мучнистая роса.
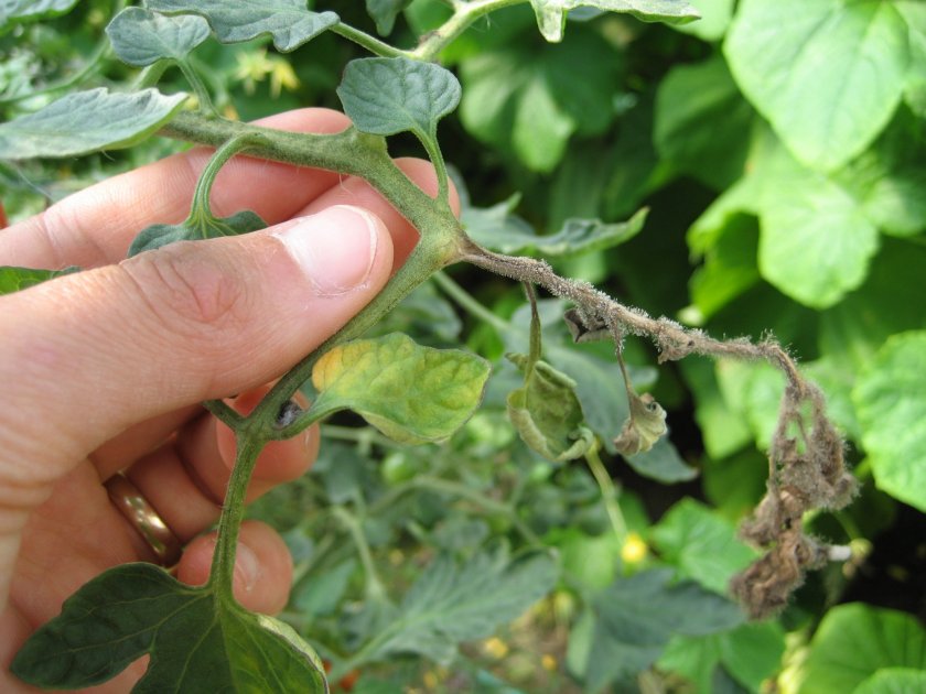
Фитофтороз

Грибковое заболевание, которое развивается из-за большой влажности, перепадов температур и загущенности. Также, недуг может передаться через больные семена, заражённый грунт, дождевые капли или, даже, воздух.
Проявляет себя образованием тёмных пятен на листьях с последующим их усыханием. Стебли рассады становятся полосатыми, засыхают или гниют, если почва перенасыщена влагой. При обнаружении симптомов заболевания, больные растения изолируют или уничтожают, а остальные обрабатывают препаратом Заслон.
Через две недели обработку рассады повторяют, только уже препаратом Барьер. Третий раз растения опрыскивают после высадки в открытый грунт при появлении соцветий. Для этого используют следующий раствор — 1 г перманганата калия, 1 стакан толчёного чеснока на ведро воды.
Перед посевом, семена, чтобы избежать неприятности, следует обработать марганцовкой в течение 15 мин, а перед высадкой рассады в почву, в лунки рекомендуют также добавляют раствор марганцовки из расчёта 1 г на литр воды. Этого раствора хватает на две ямки.
Чёрная ножка

Грибок, попадающий в растения через почву. Спровоцировать начало недуга могут повышенная влажность и высокая температура. При возникновении болезни, рассаде грозит неминуемая гибель в течение суток. Симптомы чёрной ножки проявляются на стебле, истончая его, что приводит к гибели ростка. Такие растения удаляют, а место, где они росли, засыпают древесной золой.
Чтобы избежать напасти, перед посевом семян грунт посыпают смесью медного купороса (1 ч ложка) и золы (1 стакан), а перед высадкой в теплицы, уничтожают все больные и слабые растения.
Белая пятнистость листьев

Возникает при попадании на нижние листья рассады грибка из заражённой почвы. С нижних листьев заболевание быстро распространяется по всему растению. Сначала листья становятся бурыми, затем покрываются чёрными точками, засыхают и опадают.
Если вовремя заметить начинающееся заболевание, то можно спасти рассаду, обработав её раствором медного купороса (1 стакан на 10 л воды). Погибшие растения уничтожают, почву обрабатывают тёмным раствором перманганата калия и присыпают древесной золой.
Фузариозное увядание

Вызывает почвенный грибок, который, проникая в корни рассады, способствует её увяданию, за счёт того, что ткани растений теряют упругость. Если срезать больной росток, то на срезе можно наблюдать нарушение сосудистости в виде пучков, покрытых бурыми кольцами.
Чтобы избежать проблемы, нужно обеспечить оптимальное освещение для растений, а также соблюдать стерильность при высадке рассады в открытый грунт.
Гнили
Возникают из-за переизбытка почвы влагой при низких температурах. Они проявляются изменением цвета листьев рассады, появлением мокнущих пятен с налётом из спор. В результате этого листья увядают и отпадают.
При первых признаках заболевания, рассаду необходимо обработать раствором хлорокиси меди (40 г препарата на 10 л воды), а также нужно своевременно удалять заболевшие листья. Перед высадкой рассады в грунт, стоит обработать его 2%-ным раствором триходермина за несколько дней до начала посадки.
Кладоспориоз (оливковая пятнистость)

Чаще возникает уже после высадки рассады в теплицу. Болезнь начинается с нижних листьев, на которых появляются большие жёлтые пятна, а нижняя их часть покрывается бархатистым налётом. Это — споры грибка. Затем листья скручиваются в трубочки и отваливаются.
Заболевание, в основном, проявляет себя в начале цветения томатных растений. Чем больше влажность и выше температура, тем интенсивнее происходит процесс распространения заболевания. Перед тем, как обработать растения от кладоспориоза, удаляют все больные и опавшие листья. В качестве средств для лечения, используют 1%-ную бордосскую жидкость, препараты Барьер или Заслон.
Альтернариоз или сухая гниль

Грибковое заболевание, которое проявляется возникновением коричневых участков на оборотной стороне листьев рассады. Спустя некоторое время, листья растений сплошь коричневеют и опадают, а заболевание переходит на стебли томатов. Бороться с этим заболеванием можно только при помощи химических препаратов (фунгицидов) Акробат, Дитан, Квадрис. Обработку необходимо проводить незамедлительно, при обнаружении первых признаков недуга.
Мучнистая роса

Одно из самых распространённых грибковых заболеваний, вызываемое сумчатым грибком. Эта болезнь, в основном, поражает рассаду после высадки в теплицу. Передаётся через заражённую почву. На листьях появляется белый налёт, образуя хлороз их тканей, плавно переходящий в некроз.
Заболевание наносит непоправимый ущерб урожайности, поэтому, перед высадкой рассады в почву, последнюю обеззараживают крепким раствором марганца, а семена перед посевом замачивают в препарате Эпин.
При появлении первых признаков болезни, растения опрыскивают препаратами Квадрис, Строби или Топаз. Профилактическую обработку можно проводить этими же веществами дважды за сезон.
Вирусные заболевания
Самые распространённые из них:
Возбудитель мозаики

Палочковидный вирус поражает растения, чаще всего, при высадке рассады в открытый грунт. Заболевание проявляет себя разными оттенками листьев. Темно-зелёные листья перемешиваются с более светлыми, образуя мозаику. Затем, они скручиваются и опадают.
Заражение происходит через больные семена. Чтобы избежать болезни, следует использовать посадочный материал годичной давности. Больные растения подлежат уничтожению, а оставшуюся рассаду опрыскивают либо слабым раствором перманганата калия, либо 5%-ным раствором мочевины.
Аспермия или бессемянность

Проявляется мельчанием листьев, возникающим за счёт задержки роста и развития растений. Поражённая рассада хуже плодоносит, давая плоды мелкого размера. Они, как правило — деформированной формы, а основной особенностью таких плодов является отсутствие в них семян.
Заболевшие растения уничтожаются. Чтобы избежать заболевания, стоит проводить профилактическую обработку семян, а также использовать только качественный семенной материал, приобретённый у надёжных производителей.
Стрик

Вызывает вирус табачной мозаики. Сначала на листьях появляются штрихи коричневого цвета, на месте которых потом образуются язвы. В результате этого, всё растение становится хрупким, а верхняя часть его отпадает.
Это заболевание напрямую влияет на урожайность, уменьшая её, а качество плодов ухудшается. Больные сеянцы необходимо уничтожать, а, чтобы избежать болезни, рекомендуют тщательнее проводить предпосевную подготовку посевного материала.
Бактериальные болезни
Бактериальные заболевания вызывают различные бактерии. К таким болезням относятся:
- бурая пятнистость листьев;
- чёрная бактериальная пятнистость;
- бактериальная крапчатость;
- столбур;
- бактериальное увядание;
- бактериальный рак.
Бурая пятнистость листьев

Провоцируется переувлажнением воздуха и почвы. Наружная сторона листьев растений покрывается серо-жёлтыми пятнами, которые со временем сливаются, а на оборотной стороне появляется налёт оливкового цвета, который постепенно краснеет.
Такие листья быстро сохнут и отмирают. Заболевшую рассаду необходимо уничтожить, а почву обработать 1%-ным раствором бордосской жидкости. Рассаду желательно опрыскать медьсодержащими препаратами .
Чёрная бактериальная пятнистость

Появляется из-за использования некачественного семенного материала. Также, вирус часто попадает на растения через почву, или спровоцировать недуг может повышенная влажность.
Симптомы — небольшие, округлой или овальной формы, чёрные пятна на листьях и стеблях, распространяющиеся за короткое время по всему растению, в результате чего оно погибает. Больные ростки подлежат уничтожению. Лечение — обработка рассады 1%-ным раствором бордосской жидкости.
Бактериальная крапчатость

Возникает из-за проникновения в рассаду фитопатогенной бактерии. Листья покрываются масляными просвечивающими пятнами, которые распространяются с края листа в его середину. Постепенно пятна сливаются, а листья скручиваются и отпадают.
При появлении первых признаков заболевания, рассаду опрыскивают медьсодержащими препаратами (медным купоросом 1 стакан на 10 л воды) или Фитолавином-300.
Столбур

Бактериальное заболевание, вызываемое микроплазменными телами, которые переносят некоторые виды насекомых. Эта болезнь является наиболее распространённой из всех бактериальных недугов.
Симптомы — фиолетовые или розоватые пятна на листьях и стеблях рассады, с последующим их огрубением. Лечение и профилактика заключаются в двукратной обработке растений Конфидором, Актарой или Моспиланом. Первый раз рассаду опрыскивают на 25 день после высадки семян, а второй раз — перед посадкой на постоянное место роста.
Бактериальное увядание
Опасное бактериальное заболевание, в результате которого рассада начинает увядать без видимых причин. При тяжёлых формах недуга можно наблюдать продольные бурые полосы на стеблях растений.
Часто образуются воздушные корни. Желтеют листья, затормаживается рост рассады, а впоследствии образующиеся плоды, мельчают и опадают. Больные растения необходимо уничтожить, а здоровые — обработать 1%-ным раствором Фитофлавина-300.
Бактериальный рак
Самое страшное из всех видов заболеваний. Оно уничтожает сосуды томатных растений. Симптомы — язвы, распространяющиеся по всему растению, в результате чего оно гибнет. Такие ростки необходимо срочно уничтожать, а грунт, где они росли — менять на новый. Чтобы избежать этой напасти, семена перед посадкой обрабатывают формалином (1 часть 40%-ного раствора на 300 частей воды).
Неинфекционные заболевания
Эти недуги возникают из-за дефицита в почве того или иного компонента. К таким болезням относятся:
- Азотная недостаточность, которая проявляется побледнением листьев рассады. При возникновении симптомов, необходимо внести в почву азотосодержащие вещества (раствор мочевины — 1 ст ложка на 10 л воды).
- Недостаточное количество фосфора характеризуется омертвевшими участками на листьях. Цвет их постепенно меняется с зелёного на фиолетовый, становятся видны бурые вкрапления на нижней части листа. Устранить проблему можно, внеся в почву двойной суперфосфат или сульфат аммония (2 ч. ложки на литр воды). Раствор двойного суперфосфата готовят так: 20 ст. ложек растворяют в 3 л воды. Затем, 150 г получившегося раствора добавляют в 10 л воды и перемешивают;
- Дефицит меди проявляется скручиванием листьев и загибанием черешков к низу. Листья становятся беловато-серыми, а прожилки остаются зелёными. Устраняется внесением раствора 3%-ного растворв медного купороса или сернокислой меди;
- Недостаток железа распространяется от стеблей на листья, поражая их основания. Листья обесцвечиваются, на них появляются некротические пятна. При внесении 0,25%-ного сернокислого железа растения приходят в норму;
- При нехватке калия края листьев становятся как бы обожжённые. Если вовремя не устранить проблему, пятна начнут увеличиваться, поражая всё растение целиком. Молодые листки становятся морщинистыми, а более старшие приобретают пепельно-серый оттенок. Лечение — внесение в почву растительной или древесной золы;
- При недостатке кальция появляется некроз нижней части листьев. Такие растения склонны к заболеваемости и увяданию. Верхние листья сохраняются зелёными, а нижние желтеют и опадают. Лечится заболевание внесением кальциевой селитры (25 г препарата на 10 л воды);
- Нехватка серы характеризуется неярким бледно-розовым оттенком нижней стороны листьев ближе к черешку. Если болезнь запущена, на листьях появляются некротические бляшки, а вдоль черешка образуются коричневые полосы. Листья таких растений тянутся вверх, становятся хрупкими и ломкими. Серное голодание почвы лечат внесением сульфата магния (30 г на 10 л воды).
В статье приведён перечень наиболее часто встречающихся болезней рассады томатов и методов их устранения. Многие садоводы довольствуются народными методами лечения растений, считая их более безопасными, однако, такие способы не всегда эффективны, да и далеко не все недуги можно ими исцелить. Часто приходится прибегать именно к химическим веществам, так как, в некоторых случаях, только они могут избавить садоводов от нависшей угрозы в виде потери урожая.
Если к выращиванию рассады подойти с огромной ответственность, строго соблюдая все правила, то можно легко избежать таких неприятностей, как болезни.
Какие бывают болезни помидорной рассады: фото, описание, лечение
Получить хороший урожай помидоров можно при условии соблюдения всех без исключения правил, начиная с посадки семян на рассаду. Если сеянцы оказались слабыми или, хуже того, больными, то о щедром урожае помидоров не может быть и речи.

Каковы же основные болезни, от которых страдает помидорная рассада? Мы подготовили краткое описание с фотографиями распространенных болезней рассады помидоров и простые и эффективные способы лечения от них.
Эти заболевания можно разделить на несколько категорий.
Спрашивайте и получайте полезные советы от профессиональных садоводов и опытных дачников.Задать вопрос >>
Грибковые заболевания
Эти болезни чаще возникают по причине неправильного ухода. Рассаду поливайте регулярно, но умеренно. Не допускайте подтопления почвы в контейнере.
Если ростки расположены слишком близко друг от друга, то это приводит к слабой циркуляции воздуха между ними, возникает грибковое заболевание.
Помещение, где растут помидорки должно быть максимально комфортным для развития ростков: светлым, теплым, не сырым.
– Фитофтороз проявляет себя появлением на листочках темных пятен. Вскоре пораженные листья начинают увядать и осыпаться. Такие ростки немедленно вырвите и сожгите. Оставшиеся ростки обработайте препаратом «Заслон». Через две недели рассаду снова придется обработать, но уже препаратом «Барьер».

Для полной гарантии того, чтобы на томатах снова не возник фитофтороз, их еще раз обработайте чесночно-марганцевым раствором. В ведре с водой растворите 1 гр. марганца и долейте чесночный сок, полученный от отжима стакана чесночных зубков.
Черная ножка поражает стебли рассады помидоров. Они становятся тонкими, росток не получает живительную влагу из почвы и вскоре гибнет. Больные растения вырвите из стаканчика.

Некоторые огородники во избежание этого заболевания перед посадкой семян добавляют в почву немного просеянной древесной золы и медного купороса.
– Белую пятнистость вызывают споры грибка. Белая пятнистость изначально проявляет себя появлением черных точек на нижних листьях росточков. Без принятия срочных мер болезнь быстро распространяется по всему растению.

Позже листья чернеют и осыпаются. При раннем обнаружении болезни рассаду можно вполне спасти, обработав ее раствором медного купороса. Те ростки, которые не удалось спасти, вырвите и сожгите.
– Фузариозное увядание вызывает почвенный грибок. Он поражает корни растений и приводит к их увяданию.

Если срезать стебель пораженного растения, можно увидеть некие пучки бурого цвета. Это и есть проявление фузариозного увядания. Болезнь возникает от недостаточности освещения в помещении, где растут помидоры, или же от неправильного ухода за ними.
Гнили
Загнивание помидорных ростков происходит от слишком низкой температуры окружающего воздуха или от избыточного полива. Первый признак болезни – изменение цвета листиков рассады. Позже на них появляются слизистые пятна с грибковым налетом.
Как только вы заметили изменение окраса листочков, немедленно сократите полив и приведите к норме температуру воздуха в помещении. Помидорную рассаду опрыскайте раствором хлорокиси меди, но предварительно сорвите все пораженные листочки. Через двое суток томаты обработайте двухпроцентным раствором триходермина.
НА ЗАМЕТКУ: Предотвратить развитие белой гнили может пропаривание грунта перед посевом семян.
– Кладоспориоз чаще всего случается в первые дни после высадки рассады в открытый грунт. Кладоспориоз начинается с нижних листьев, на их лицевой стороне появляются желтые пятна, а на оборотной образуется налет. Чуть позже листочки скручиваются в трубочки, загибаются, вянут, осыпаются.

Нередко болезнь поражает помидоры на стадии их цветения. Причина болезни – слишком высокая окружающая температура при повышенной влажности воздуха. Парниковые помидоры страдают от этой болезни чаще, чем грунтовые.
Растения можно спасти, если вовремя оборвете пораженные листья и обработаете их однопроцентным раствором бордосской жидкости или готовыми средствами «Заслон» или «Барьер».
– Сухая гниль, или альтернариоз – при этом заболевании на нижней поверхности листьев образуются коричневые пятна.

Постепенно они разрастаются, покрывают собой всю поверхность листьев. Они от этого опадают, а болезнь начинает свое губительное распространение по стеблям помидоров. При раннем обнаружении сухой гнили рассаду можно спасти с помощью фунгицидных препаратов «Дитан», «Акробат» или «Квадрис».
– Фомоз, или бурая гниль может проявиться после завязи плодов. Вначале на плодоножке возникает бурое пятнышко, потом оно начинает увеличиваться в размерах, происходит гниение плодов изнутри.

Фомоз возникает от избытка азота в почве и высокой влажности воздуха. Для спасения плантации помидоров все пораженные плоды сорвите и уничтожьте, а плантацию обработайте препаратами «Заслон», «Фундазол», «Оксихом» или бордосской жидкостью.
– Мучнистая роса поражает томаты часто. Вызывают ее сумчатые грибки, споры которых обитают в почве.

Обычно мучнистая роса поражает томаты в первые дни после посадки рассады в грунт. Начальные признаки болезни – белый налет на листьях. Без принятия спасительных мер растения неминуемо гибнут. Средства «Квадрис», «Топаз» и «Строби» способны спасти посев. Их также можно использовать и для профилактики возникновения мучнистой росы.
Вирусные заболевания
Часто рассада подвергается таким заболеваниям по причине зараженных семян. Как бы красиво не выглядели семена, их все равно нужно перед посадкой обработать слабым раствором марганцовки.
Вторая причина вирусных заболеваний – нехватка полезных веществ в почве. По этой причине ростки получаются слабыми и не могут противостоять даже самой слабой инфекции.
Какие бывают вирусные заболевания рассады и чем их лечить?
– Вирус мозаики поражает томаты в первые дни после посадки рассады в грунт.

Изначально меняется окрас листьев, затем они скручиваются, опадают. Чаще всего вирус переносится на саженцы вместе с семенами, которые огородник поленился обеззаразить. Больные вирусом мозаики ростки рвите с корнем и сжигайте. Почву под ними обеззаразьте слабым раствором марганца, припудрите древесной золой. Здоровые же растения для профилактики опрыскайте пятипроцентным раствором мочевины или слабым раствором марганцовки.
– Аспермия, или бессемянность проявляется очень медленным ростом рассады.

На взрослых растениях не бывает семян в искривленных плодах, листья слишком мелкие. Увы, пока нет лекарств для лечения аспермии.
– Стрик – на листьях появляются коричневые черточки.

Позже на их месте образуются язвенные воспаления. Рассада помидоров от этого становится ломкой, начинают опадать верхние листья. Лечения от этой болезни тоже нет, поэтому пораженные растения просто уничтожают.
Бактериальные заболевания
Эти болезни также могут возникнуть в результате скудости почвы и неправильного ухода за рассадой. Некачественный семенной материал также может стать причиной бактериальной инфекции.
– Бурая пятнистость листьев может возникнуть по причине излишнего полива или слишком сырого окружающего воздуха.

Проявляется заражение появлением на верхней поверхности листьев бурых пятен. На нижней поверхности возникает налет, который вскоре приобретает красноватый оттенок. Излечить это бактериальное заболевание не представляется возможным. Больные экземпляры уничтожают, а землю под ними обеззараживают. Остальные растения обрабатывают от инфекции однопроцентным раствором медного купороса.
– Бактерии черной пятнистости поражают рассаду через почву или семена.

Болезнь бурно развивается, когда температура окружающего воздуха превышает 25 градусов, при этом влажность воздуха повышенная. Интересно, что последующее снижение температуры не оказывает на бактерии негативного воздействия, болезнь лишь прогрессирует. Гибнут же бактерии только при температуре 56 градусов.
Черная бактериальная пятнистость проявляется появлением на листьях черных пятнышек, окаймленных желтой полоской. Через время на стеблях томатов возникают черные полоски. В итоге ростки быстро гибнут.
Лечения от этой болезни нет. Пораженные ростки уничтожьте, а остальные обработайте средством «Хом».
– Столбур, или фитоплазмоз. Разносчиками являются насекомые.

Столбур проявляет себя лиловыми или фиолетовыми пятнами, которые появляются на листьях и стеблях рассады. К счастью, эта болезнь лечится препаратами «Конфидор» или «Актара». Эти средства можно использовать и для профилактики заболевания. Первый раз рассаду опрыскайте через месяц после посева семян, а второй раз – перед посадкой в почву.
– Бактериальный рак является фатальным для рассады и не подлежит лечению. Проявляется он появлением язвенных очагов на листьях и стеблях. Больные сеянцы следует немедленно уничтожить, а почву в контейнере всю заменить.

Для профилактики бактериального рака используется водный раствор формалина, приготовленный в пропорции 1:300.
– Бактериальная крапчатость может возникнуть по причине механического повреждения листьев или стеблей рассады.

Симптом заболевания – появление на листьях пятен темно-желтого цвета. Пораженные листья скручиваются в трубочки и осыпаются. Для спасения посадок оборвите все пораженные части рассады и обработайте ее слабым раствором медного купороса.
Неинфекционные заболевания

Такие болезни возникают от неправильной подкормки рассады. В результате ошибок ростки получают избыток одних полезных веществ и недостаток других. Ослабление растений влечет за собой заболевания.
Чаще такие болезни случаются от нехватки в почве азота, меди, кальция, фосфора калия или других микроэлементов. Впрочем, если подкормка рассады делается строго по инструкции, то никакого дисбаланса в содержании полезных веществ в почве быть не может.
- При недостаточном количестве азота листья рассады становятся бледнее. Исправить ситуацию можно с помощью раствора мочевины.
- От нехватки фосфора на листьях томатов появляются омертвевшие участки, а сами листья приобретают фиолетовый оттенок. При этом на нижней поверхности листьев образуются бурые точки. Восполнить фосфор в почве позволяют суперфосфат и сульфат амония.
- При малом количестве меди в почве листья сначала загибаются, потом скручиваются и меняют цвет на светло-серый. Нормализовать содержание меди можно с помощью трехпроцентного раствора медного купороса.
- Нехватка в почве кальция приводит к отмиранию нижних листьев. Верхние же листья при этом остаются полностью здоровыми. Почву нужно удобрить раствором кальциевой селитры.
- При нехватке железа листочки обесцвечиваются, на них появляются небольшие пятна. Нужно немедленно внести в почву 0,25% раствор сернокислого железа.
- Если вы заметили, что листья у помидоров стали усыхать по контуру, то это означает, что вам надлежит обогатить почву калием. Лучше всего это сделать, используя настой древесной золы.
- От нехватки в почве серы листья рассады становятся бледно-розовыми. Устранить проблему можно с использованием трехпроцентного раствора сульфата магния.
Профилактические меры

- Возьмите за правило никогда не покупать семена у случайных продавцов.
- Перед посадкой продезинфицируйте все семена растворами марганца или медного купороса. Для этих целей продаются и другие препараты, готовые к применению.
- Если вы предпочитаете использовать для рассады магазинную почву, то проследите за целостностью ее упаковки. Если же вы сами приготавливаете почвенную смесь, то делайте это строго по правилам. Почвенную смесь тщательно перемешивайте, обязательно просеивайте и обеззараживайте. Это можно сделать путем прокаливания почвы в духовке при температуре 100 градусов. Хорошее обеззараживающее средство – горячий раствор марганцовки.
- Перед посадкой семян обязательно сделайте дезинфекцию посевного материала и почвы в контейнере.
- Используйте для выращивания рассады только районированные сорта семян.
- В помещении, где находятся контейнеры с рассадой, поддерживайте оптимальную температуру и влажность воздуха.
- При обнаружении заболевания немедленно унесите стаканчик с ростком подальше от остальной рассады.
- Не пренебрегайте профилактическими мерами защиты томатов от заболеваний.
- Никогда не высаживайте рассаду в грунт на одном месте два раза подряд.
Чем обработать рассаду помидор от вредителей?

Вредители способны погубить ростки томатов, причем насекомые селятся на молоденькой зелени или у корней.
В почве живут медведки, нематоды, проволочники. На рассаде помидоров может завестись тля, белокрылка, паутинный клещ. Существуют проверенные огородниками методы борьбы с вредителями. Используйте инсектициды – Актара», «Актеллик», «Инта-Вир» и другие, которые вам подскажут в садовых отделах.
Болезни рассады помидор: фото и их лечение
Томаты – одна из распространенных культур, которую дачники выращивают на подоконниках рассадным способом. Крепкая и здоровая рассада всегда радует глаз. Но не всегда все происходит именно так. Случается, что из-за ошибок в уходе сеянцы болеют и даже могут погибнуть – что особенно обидно. Из-за юного возраста растений болезни распространяются с катастрофической скоростью.
Главным фактором здесь является время. Чем быстрее приступить к лечению, тем больше шансов на успех. Еще лучше – своевременно принять меры по профилактике и не допустить заболеваний рассады.
Основные болезни рассады помидоров

Болезни, поражающие рассаду помидоров, можно подразделить на: грибковые, вирусные, бактериальные и заболевания неинфекционного характера.
- Грибок активизируется в условиях повышенной влажности и низких температур.
- Вирусные заболевания могут возникать из-за низкого качества семян, скудного грунта, путем передачи через вредителей, в результате ослабления иммунитета неправильным уходом.
- Примерно такими же причинами вызываются и бактериальные болезни.
- Неинфекционные заболевания возникают из-за несбалансированного состава почвы, к ним может привести как недостаток, так и избыток отдельных микроэлементов.
Грибковые заболевания
Выявить проблему помогают симптомы. Только определив причину, можно точно знать, как действовать в том, или ином случае. Рассмотрим подробнее грибковые заболевания:
Фитофтороз

Проявляет себя появлением темных пятен на листьях, которые затем усыхают. Стебли приобретают полосатую окраску, могут засохнуть, или сгнить. При подобных симптомах больные экземпляры изымаются и уничтожаются, а остальные сеянцы обрабатывают препаратом «Барьер» или «Заслон», через 2 недели обработку повторяют. После высадки в грунт опрыскивают растения в третий раз настоем чеснока с добавлением кристаллов марганцовки. Возникает болезнь из-за переувлажнения, сквозняков и чрезмерно густых посадок.
Черная ножка

Споры этого грибка могут сохраняться в земле. В условиях высокой температуры и влажности грибок начинает развиваться, приводя к истончению стебля и быстрой гибели рассады. При первых признаках больные растения нужно удалить и уничтожить, присыпав почву на месте, где росли больные сеянцы, древесной золой.
Белая пятнистость

Симптомы болезни начинают проявляться на нижних листьях, постепенно перебираясь на верхнюю часть листвы. Сначала появляются белесые пятна, затем листья буреют, усыхают и опадают. Спасти рассаду можно обработкой раствором медного купороса (1 стакан на ведро воды). Больные экземпляры удаляют из ящика, после чего проливают почву насыщенным раствором марганцовки и посыпают древесной золой.
Гнили
Возникают из-за переувлажнения грунта при пониженной температуре. Листья меняют цвет, на них образуются мокнущие пятна. Затем листва увядает и опадает. Болезни этого типа лечат раствором хлорокиси меди (40г на ведро воды). Больные листья удаляют с растений. Перед высадкой в грунт рассаду обрабатывают триходермином.
Мучнистая роса

Часто встречающаяся болезнь, вызываемая сумчатым грибком. Проявляется появлением на листве белых пушковых пятен. Предотвратить ее появление можно протравливая заранее семена. При первых признаках болезни требуется опрыскивание препаратами «Квадрис», или «Топаз».
Вирусные болезни
Распространенными вирусными болезнями являются: мозаика, аспермия, стрик. Вызывающие их вирусы передаются через некачественный семенной материал, поэтому так важно покупать семена только в промышленной упаковке от надежных, проверенных производителей . Распознать заболевания можно по следующим симптомам:
Мозаика

Вызывается палочковидным вирусом, проявляется чаще всего на стадии высадки рассады в грунт. Окраска листьев меняется, формируя характерную мозаику из более темных и светлых участков. На более поздней стадии происходит скручивание и опадание листьев. Пораженные кусты уничтожают, а оставшиеся обрабатывают розовым раствором марганцовки или 5-процентным раствором мочевины.
Аспермия (бессемянность)
Вызывает измельчание листьев и задержку развития куста. Больные растения в дальнейшем дают мелкие, деформированные плоды, не содержащие семян. Лечения нет. Нездоровые растения уничтожаются.
Стрик

Возбудитель – вирус табачной мозаики. Проявляется появлением коричневых штрихов, которые перерождаются в язвы. У больных растений со временем отпадает макушка. Лечения не существует. Зараженные томаты рекомендуется уничтожить.
Бактериальные болезни
Они провоцируются различными бактериями и усугубляются неправильными условиями выращивания рассады. Вот наиболее частые из них:
Бурая пятнистость

Симптомами является появление на поверхности листьев желто-серых пятен, которые постепенно сливаются между собой, на нижней стороне листовых пластин образуется оливковый налет, переходящий со временем в красный. Листья начинают сохнуть и отмирать. Пораженные сеянцы убирают, а оставшуюся рассаду обрабатывают медьсодержащими препаратами. Почву следует полить бордосской жидкостью.
Черная бактериальная пятнистость

Заражение происходит через почву, или вызывается повышенной влажностью. Проявляется образованием небольших черных пятен на листьях и стеблях томатов, со временем поражается все растение и происходит его гибель. Больные сеянцы необходимо как можно раньше удалить из рассадного ящика. Оставшуюся рассаду опрыскивают раствором бордосской жидкости в 1-процентной концентрации.
Бактериальная крапчатость

Симптомом болезни является появление на листьях просвечивающих бурых пятен с маслянистой поверхностью. Прогрессируя, болезнь вызывает скручивание и опадание листьев. Помогает от заболевания опрыскивание раствором медного купороса или Фитолавином-300.
Бактериальное увядание
Опасная болезнь, которая быстро приводит к увяданию растений, при тяжелых формах на стеблях будут заметны бурые продольные полосы. Происходит пожелтение листьев и почти полная остановка роста. Заболевшие кусты уничтожаются, остальную рассаду обрабатывают Фитолавином-300.
Бактериальный рак
Опасное заболевание, вызывающее гибель рассады. Происходит поражение сосудов растений, в результате образуются язвы на разных участках стеблей и листьев. Растение неизбежно погибает. При этом заболевании необходимо полностью заменить грунт. Избежать бактериального рака поможет предпосевная обработка семян формалином.
Неинфекционные заболевания

Неинфекционные заболевания проявляются симптомами, указывающими на недостаток или избыток какого-либо минерального элемента.
- При недостатке азота листья бледнеют. Лечится внесением раствора мочевины.
- О дефиците фосфора говорит появление на листьях фиолетовых пятен. С нижней стороны листовых пластин образуются бурые вкрапления. Необходимо внести двойной суперфосфат или сульфат аммония.
- Нехватку меди определяют по осветлению листовой пластины и выделяющимся темным прожилкам. Также листья начинают скручиваться. При подобных признаках нужно внести в почву медный купорос или сернокислую медь.
- Недостаток железа проявляется обесцвечиванием листьев, появлением на них омертвевших участков. Лечится внесением сернокислого железа.
- Дефицит калия проявляется появлением пепельного оттенка на старых листьях, молодые листочки – морщинистые. Необходимо удобрить землю золой.
- Нехватка кальция провоцирует пожелтение и опадание нижних листьев. Восполнить элемент можно внесением кальциевой селитры.
- То, что томатам не хватает серы, можно понять по появлению розового оттенка на нижней стороне листьев. Проблему поможет решить внесение сульфата магния.
Признаками избытка удобрений может быть скручивание листьев, удлинение междоузлий, изменение окраски листьев в сторону осветления, пожелтения или пятнистости.
Чем опрыскать, обработать рассаду томатов для профилактики

Профилактическим мероприятиям следует уделять внимание весь период вегетации томатов, вплоть до этапа плодоношения. Растения нужно также регулярно осматривать, чтобы в случае чего срочно принять меры. Профилактика болезней осуществляется еще на стадии предпосевной обработки семян, когда их не просто замачивают, а протравливают марганцовкой, перекисью водорода или слабым раствором формалина, где достаточно подержать семена 20-30 минут.
Также стоит уделить внимание подготовке посадочного грунта. Чтобы избавить почву от патогенных бактерий и спор грибов ее можно прокалить в духовке или микроволновой печи. Если вам это кажется слишком хлопотным, хотя бы ошпарьте землю кипятком и пролейте раствором марганцовки.
На стадии выращивания рассады можно проводить профилактические опрыскивания растворами промышленных препаратов, применяя: Фитоспорин, Баксис, Заслон, Барьер, Экосил. Обработку растений на подоконнике первый раз производят за неделю до высадки в теплицу или открытый грунт. Через неделю после высадки проводится повторное опрыскивание раствором одного из препаратов. Последующие обработки проводят накануне и после массового цветения томатов, а затем в период образования плодов.
Как вырастить здоровую рассаду, полезные советы

Чтобы рассада выросла здоровой и крепкой, необходимо выполнить ряд условий:
- Правильно выбрать семена, провести их предпосевную обработку и соблюсти рекомендуемые сроки посева семян.
- Подобрать грунт, сбалансированный по составу питательных веществ, и обеззаразить его.
- При посеве соблюдать схему посадки, чтобы избежать чрезмерной загущенности рассады, которая часто приводит к болезням.
- Соблюдать необходимый для томатов режим освещенности, полива и температуры.
- Своевременно произвести пикировку. Одновременно отбраковать больные и слабые растения.
- Закаливать рассаду перед высадкой в открытый грунт.
Если вы придерживались этих правил, рассада в дальнейшем хорошо приживется и быстро адаптируется на новом месте.
Как спасти заболевшую рассаду томатов: видео
Чем болеет рассада помидоров: видео
Об основных болезнях рассады помидоров вам теперь известно. Чтобы не столкнуться с ними на практике, придерживайтесь правил агротехники и проводите профилактические обработки. Ведь давно известно – предупредить заболевание проще, чем потом с ним справиться.
Описание болезней, вредителей рассады томатов с фото, лечение растений, профилактика

Помидоры – популярные овощи, выращиваемые в домашних условиях. При выращивании рассады томатов появляются сложности, связанные с возникновением инфекционных заболеваний (грибковых, бактериальных, вирусных) и многочисленных нарушений развития неинфекционного (физиологического) происхождения.
В данной статье представлены распространенные болезни рассады томатов с фото, характеристики симптомов поражения вредителями и микроорганизмами, методы лечения.
Защита рассады от неблагоприятных условий
Помидоры – термофильные растения. Кустики рассады не переносят избыточную влагу, чрезмерное охлаждение. В таких условиях повышается риск повреждений томата грибками, вирусами, вредителями. В чрезвычайно благоприятных условиях для развития патогенов быстро возникают болезни рассады помидор и растения могут погибнуть.
Всесторонняя защита томатов от болезней включает:
- использование всех агротехнических возможностей для ограничения или ингибирования развития грибковых, бактериальных и вирусных заболеваний;
- использование утвержденных средств защиты рассады от болезней и вредителей.
Мероприятия касаются всех этапов выращивания томатов, включая посев семенного материала и выращивание рассады.
Патогенные микроорганизмы зимуют в горшках, растительных остатках, оставленных в почве, где раньше выращивались томаты или картофель. В начале вегетации возбудитель становится активным и первые симптомы (в основном бактериозы) можно увидеть на томатах вскоре после посадки рассады.

Необходимо предпринимать профилактические меры:
- поддержание чистоты тары;
- чистый грунт.
Почвенные или садовые субстраты, предназначенные для посева семян, должны быть абсолютно свободными от любых грибковых, бактериальных патогенов, нематод, семян сорняков. Поэтому каждый год для посева семенного материала и производства рассады используйте новый субстрат или старый, тщательно термически продезинфицированный паром при 90 °C в течение 20-30 минут.
Необходима предварительная предпосевная обработка семян. Это незаменимая мера защиты, поскольку она защищает ростки и молодые саженцы от заражения грибками, колонизирующими на семенах, или расположенными в субстрате.

Экологические методы предотвращения заражения семян томатов гнилостными заболеваниями саженцев:
- мелкий посев семенного материала томатов в количестве до 5 г/м² на глубину 1-1,5 см;
- легкое смачивание поверхности субстрата после посева и покрытие стеклом или пленкой для прорастания семян – это дает ограничение частоты полива, ускорение прорастания, но увеличивает риск ожога всходов при сильном солнечном свете.
Заболевания рассады помидоров
Основные болезни и вредители томата следующие:
- фитофтороз (Phytophthora);
- антракноз томатов (Colletotrichum coccodes);
- фузариоз (Fusarium oxysporum);
- вирус мозаики томата пепино (PepMV);
- фитоплазмоз;
- кладоспориоз;
- фомоз;
- серая плесень;
- стеблевая гниль или дидимелла томатов (Didymella lycopersici);
- корневая гниль томатов(Pythium);
- пятнистость листьев;
- увядание рассады Sp Radicis-lycopersici;
- бактериальный рак томатов Verticillium spp;
- мокрая гниль;
- мучнистая роса.
Рассмотрим подробнее болезни томата, которые чаще всего поражают рассаду.
Корневая гниль
Грибы Pythium поражают корни томатов на разных этапах культивирования – сначала некроз невиден, а затем все корни гниют. Иногда также может возникать влажная корневая гниль томата. Гниение корней обычно сопровождается внезапным увяданием листьев, заметным торможением роста растения томата, отмиранием.

Фитофтороз, фитофторозная гниль
Болезни кольцевой гнили томатов вызывает Phytophthora nicotiana var. nicotiane. У инфицированных растений, в зависимости от фазы роста, наблюдаются различные симптомы заболевания. В случае рассады болезнь проявляется поражением корневой шейки томата – растения вянут без видимых внешних симптомов на стебле, только в нижней части основного стебля появляются коричневые полосы. В пересаженной рассаде или в растениях, посаженных на постоянном месте, стебли близкие к земле становятся серо-зелеными, затем становятся коричневыми. Происходит сужение стебля и некроз тканей. Томаты постепенно отмирают.

Фузариозная корневая гниль
Болезнь томатов Fusarium oxysporum f. Sp. Radicis-lycopersici имеет относительно длительный период инкубации и чрезвычайно быстро растет в стерильных субстратах. Если инфекция возникает во время фазы выращивания семян, симптомы могут появиться до или в начале цветения. Посадка зараженной рассады часто заканчивается гибелью томата. Внешние проявления – пожелтение старых листьев, замедленный рост и постепенное отмирание растений.

Бактериальный рак томатов
Болезнь вызвана бактерией Corynebacterium michiganense, проникающей в ткани рассады. Заражение начинается через травмированные места. Поэтому нужно соблюдать осторожность при пикировке, пересаживании рассады, бороться с вредными насекомыми. На рассаде болезнь начинает проявляться увяданием. Темные полосы на стеблях томата свидетельствуют о поражении сосудистой системы. На поперечном разрезе стебля видно темное кольцо. У основания побегов рассады появляются язвочки.

Меры борьбы с болезнью:
- протравливание семян томата фундазолом, бенлатом (4 г на 1 кг семян);
- соблюдение чистоты, дезинфекция почвы перед посадкой;
- больные экземпляры уничтожают.
Коллемболы
Бескрылые насекомые создают угрозу для молодых саженцев томатов. Взрослые экземпляры – бескрылые, небольшого коричневого, серого, зеленоватого или темно-синего цвета, растут до 3 мм в длину. Личинка – похожая на взрослую особь, только немного меньшего размера, тело серо-белого цвета.

- нет всходов;
- в семядолях и молодых листьях выгрызены дыры разных размеров и форм.
- наибольший ущерб коллемболы наносят молодым саженцам, сеянцам;
- благоприятные условия для кладки яиц и развития – влажные места, гниющие ткани.
Тля поселяется на растении, высасывает из него соки, побеги деформируются, засыхают. Пораженные тлей части растения томата подвергаются болезням, вызванным проникновением в ткани бактерий, вирусов. При появлении этих насекомых, необходима обработка против тли препаратами – золон, фитоверм, децис, искра-Био.

Диагностика и признаки заболеваний
Ниже приведены причины и методы лечения болезней, диагностика по симптомам, фотографии и меры лечения. Большинство из них вызывается плохой диагностикой и ошибками ухода.
Таблица. Описание возбудителей болезней рассады томатов, симптомы, профилактика и меры борьбы
| Болезни рассады томатов, их описание, первые признаки | Профилактика и борьба |
| Различные грибковые недуги, фузариозное увядание, бактериальные заболевания, вредители, паразитирующие на подземных участках растений и семенах сорняков. Симптомы . Гниение саженцев, слабые всходы, потеря растений, бактериальные пятна на рассаде. | Термическая дезинфекция почвы или субстратов для производства саженцев. Температура субстрата 90-100 градусов C в течение примерно 30 минут. |
| Различные грибковые болезни томата, передаваемые семенами. Симптомы . Гниение саженцев рассады, слабые всходы, потеря растений. | Предварительная предпосевная обработка семян:
|
| Гниение саженцев, вызванное различными патогенами почв (Fusarium spp., Phytophthora spp. Pythium spp.) Симптомы . Гибель посевов и молодой рассады, вызванная фитофторозом (Phytophthora spp.) Гниение стеблей у основания растений. Серо-коричневые кольца расположены на побегах, которые находятся в контакте с почвой. | Комплексная обработка семян и производство сеянцев в чистой почве. Полив молодых саженцев каждые 7-10 дней препаратом Grevit 200 SL в концентрации 0,1% (2-3 л жидкости на 1 м² поверхности или 1 литр жидкости для полива 20-40 растений). |
| Бактериальная гниль томата может присутствовать в период проращивания семян. Симптомы . Первоначально маленькие черные пятна с желтоватой границей возникают вдоль жилок листьев рассады и на их периферии. Пятна также появляются на стеблях. На плодах также появляются некротические сухие пятна. | Опрыскивание растений с момента появления первых отдельных пятен на листьях или профилактически. Обработка каждые 7-10 дней. В зонах, подверженных опасности заболевания, профилактическое опрыскивание должно начинаться непосредственно перед посевом рассады:
|
Плохое отсроченное прорастание
- слабое, отсроченное прорастание;
- медленный первоначальный рост растений.
Поврежденная часть растения: семядоли.
Появление: болезнь проявляется во время прорастания и после развития семядолей.

Причины болезни, ошибки ухода:
- неадекватные условия прорастания – температура ниже 22 ° C, выше 30 ° C;
- слишком высокая температура более 30 ° C в течение периода прорастания всходов, обычно возникающая из-за покрытия коробок или поддонов пленкой в очень солнечные дни (вызывает ожоги семян и запаривание саженцев);
- чрезмерно влажная или сухая земля;
- слишком глубокий посев семян.
Меры предупреждения болезни:
- поддержание требуемой оптимальной температуры:
- при приготовлении рассады с использованием традиционного метода – посев семян день/ночь – до 25 ° C;
- после прорастания семян до прорастания семядолей, день 20 ° C, ночь 16-18 ° C;
- при подготовке рассады в минеральной вате – посев день/ночь 25 ° C, прорастание семян день/ночь – до 27 ° C;
- в период сильной инсоляции, поддерживание оптимальной температуры и влажности воздуха, без (часто практикуемого) дополнительного покрытия культивационных контейнеров пленкой, крышкой, стеклом;
- поддержание оптимальной влажности при освещении всходов;
- обеспечение оптимального слоя покрытия семян после посева 3-5 мм (в зависимости от типа субстрата и размера семян).
Плохое отсроченное прорастание, семядоли с покрытием
Дополнительные симптомы болезни: семядоли покрыты семенным слоем.
Поврежденная часть растения: семядоли.
Возникновение: появление всходов и на ранней стадии роста рассады.

Причины, условия для развития болезни:
- низкое значение коэффициента прорастаемости семян, которые плохо хранились (или слишком долго хранились);
- слишком высокая доза семян при посеве;
- слишком низкая влажность воздуха, пересушивание всходов (в основном при чрезмерном освещении растений солнцем).
Меры предупреждения болезни:
- посев семян с проверенной всхожестью;
- посев семян в соответствии с рекомендуемой дозой и типом;
- не храните вскрытые упаковки семян (за исключением оригинальной упаковки производителя семян предназначенной для этого).
Гниение всходов
Наиболее частые причины гниения молодых всходов томатов – различные виды грибов родов:
Pythium;- Phytophthora;
- Fusarium;
- Alternaria;
- Rhizoctonia solani;
- Thielaviopsis basicola;
- Botrytis cinerea.
Поражение всходов томатов различными паразитарными грибами может привести к их гибели еще до восходов или в течение первых 2 недель после всходов. Первоначально болезнь на молодой рассаде проявляется так: на стебле вблизи к почве и на корнях образуются водянистые коричневые пятна, затем ствол в зараженной зоне сужается и растения падают.
Корни становятся черными, тонкими или часто остаются здоровыми. Саженцы обычно погибают массово. При определенных условиях симптомы, характерные для гниения рассады, могут возникать только после посадки на место постоянного культивирования.
Важная информация: Возникновению гниения саженцев способствует недостаточный свет, чрезмерная влажность субстрата. Наибольший риск представляет посев семян в инфицированную почву. Использование свежих садовых субстратов значительно снижает риск заражения растений.
Предотвращение и лечение:
- Компостные субстраты, предназначенные для выращивания рассады, дезинфицируют термически или химически – предпочтительно фумигантами.
- Дезинфицируют коробки и горшки.
- Субстрат для производства семян дезинфицируют фунгицидами, которые представляют собой смесь диметоморфа или оксадиксила с манкозебом (Acrobat 69 MZ WP или Sandofan Manco 64 WP в дозе 0,5-0,8 кг/м³).
- Семена следует обрабатывать тиурамом и металаксилом.
- В случае заболевания растений их можно поливать смесью пропамокарба и тиофан-метила (Topsin M 70 WP).
Точка роста искривляется или отмирает
Поврежденная часть растения: точка роста всходов.
Появление: на начальном этапе роста растений – после развития семядолей.
Симптомы болезни: искривление конуса роста или его гибель.

- отсутствие или недостаток бора в субстрате;
- искривление и угнетение конуса роста, вызванное недостаточным питанием бором (слишком высокое содержание кальция в субстрате, блокирующего всасывание бора корнями).
- слишком низкая влажность субстрата.
- при отсутствии бора в субстрате рекомендуется подкормка, например, бура (0,5-2,0 г/м²);
- при фертигации – увеличение содержания бора в среде примерно на 10-15%;
- при затруднении усвоения (для устранения причины) подкормки Borax (0,1%), борной кислотой (0,05-0,06), Borvit (0,1%).
Отмирание апикальных листьев с одновременным покоричневением
Симптомы: покоричневение апикальных листьев с одновременным угасанием роста.

Причина: затрудненное поглощение фосфора.
Поврежденная часть растения: конус роста после развития семядолей.
Возникновение: на протяжении всего периода выращивания рассады, на конечной стадии роста, усугубляется при отсутствии оптимальных условий (температуры и влажности).
- дефицит фосфора (Р) или плохое всасывание этого элемента;
- низкая температура или слишком высокое значение рН (рН выше 7,0), слишком низкая (рН ниже 5,5);
- неправильное приготовление почвы – неправильное соотношение элементов – слишком высокое содержание кальция.
- подготовка субстратов и подкормки с использованием удобрений, легко поглощаемых растениями;
- регулировка рН субстрата до требуемого диапазона – рН 5,5-6,5;
- повышение температуры почвы до минимума – 16 градусов С;
- снижение влажности почвы.
Профилактика и меры борьбы
- чистота почв;
- использование сортов томатов, устойчивых к гнили, фузариозному увяданию, вертициллезу;
- сразу после посадки рассады на постоянное место, кустики следует профилактически обработать препаратом, содержащим пропамокарб (защищает от Phytophthora spp. и Pythium spp.); растения поливают 0,15% раствором (обработку следует повторять 1-2 раза с интервалом 10-20 дней, используя 2-3 литра раствора на 1 м²);
- при профилактике заболеваний передающихся субстратами используются биологические препараты, содержащие антагонистические грибы рода Trichoderma – защищают растение от пролиферации на корнях мицелия Phytophthora spp.;
- Поливердум WP рекомендуется профилактически при выращивании томатов на стадии производства семян (1-2 обработки каждые 10-20 дней – при концентрации 0,05% – в количестве 2 литров полезной жидкости на 1 м²). Polyversum WP защищает растения от фитофторы, фузариоза. Важно не использовать почвенные химикаты для защиты растений от болезней передающихся субстратами одновременно.
С Phytophthora и Pythium сражаются путем полива растений раствором, содержащим пропамокарб (Previcur Energy 840 SL, Agro Propamocarb Plus 840 SL), предпочтительно через систему капельного орошения. Концентрация полезной жидкости рассчитывается по инструкции на упаковке препарата. Растения следует поливать 1-2 раза каждые 2-3 недели.
В случае заболеваний профилактика играет очень важную роль. Основные виды профилактики: использование чистой тары, обеззараживание почвы, семян, соблюдение условий выращивания. Данные меры позволят вырастить здоровою рассаду помидоров.
Чем болеет рассада помидоров: причины и признаки болезней, фото и лечение
Болезни томатов обрушиваются на садовода с самого начала, когда всходы еще не успели окрепнуть. Одна из первых напастей – черная ножка. Дальше – больше. Вплоть до высадки в теплицу, открытый грунт, парник болезни рассады томатов или угроза инфекции преследуют дачников.
Почему одним садоводам урожай дается легко, и так ли это просто на самом деле? А другие вынуждены постоянно бороться за здоровье растений? Постоянно сверяют симптомы на фото и лечение изучают по справочникам да сайтам опытных садоводов. Как добиться крепкой здоровой рассады без тревоги за растения?
Эта статья – помощь начинающим в выращивании помидорной рассады и памятка опытным садоводам.
Грибок: откуда берется и чем опасен
Грибковые инфекции – это 4/5 всех заболеваний огородной растительности. Живучесть мицелия (проще говоря, грибницы) и спор вредоносных грибов поражает. Законсервировавшись в неблагоприятных условиях клетки сохраняются годами. А как только внешние условия меняются, организм оживает, стремительно захватывая ослабленное растение. Поэтому единственный способ защитить рассаду от грибковых инфекций – профилактическая обработка:
Фунгициды или горячий марганцевый раствор обеззаразят землю, посуду, приспособления, которыми пользуется садовод при посеве или пикировании томатов. А замачивание посадочного материала в тех же препаратах повысит иммунитет, уничтожит зачатки носителя инфекции на оболочке семени.
Томатную рассаду одолевают десятки грибковых болезней. Неопытному глазу трудно отличить по первым признакам, от чего спасать всходы. Новичок-садовод видит, что растения плохо выглядят:
- появляются пятнышки или признаки гнили;
- листики скручиваются или загибаются;
- проступает налет или плесень;
- листва становится желтой или белеет.
Природа происхождения болезней одна – грибковая, а симптомы разные, ведь возбудители инфекции относятся к разным видам. Поэтому и лечение требуется адресное. Но, обнаружив болезненные изменения на ранней стадии, проблему снимают корректировкой условий содержания и профилактикой распространения грибка. Запущенные болезни помидорной рассады лечат долго, кропотливо, а перенесенный стресс сказывается на дальнейшем развитии и урожайности.
Ниже – описание проявлений инфекции с фотографиями.
Черная ножка
В отличие от родственников по семейству – перцев и баклажанов – томаты чаще болеют черной ножкой. При несоблюдении ухода в домашних условиях рассаду атакуют не только грибок. Вирусы тоже вызывают опасную инфекцию.

Черная ножка косит рассаду на первых порах, когда всходы только обзаводятся настоящими листочками. Или сразу после пикировки, если повреждена корневая система. Взрослым томатам болезнь не угрожает.
| Причины | Симптомы | Что делать | Чем лечить |
| Переувлажнение Плотная посадка | Сначала темнеет, а потом чернеет основание стебля. Окольцовывающее коричневое или черное пятно поднимается по стволу, уничтожая росток. Там, где болезнь началась, стебель истончается, усыхает, переламывается. Отличия поражения грибком и вирусом: под перетяжкой до самых корней стебель становится ниточкой – грибок; под перетяжкой остается неповрежденный стебель, идущий к корням – вирус. | Уничтожают зараженные экземпляры. Увеличивают проветривание рассады. | Грибковая форма. Первый полив насыщенным раствором марганцовки, второй – спустя 7 суток – Фитоспорином либо Триходермином. |
| Вирусная форма. Дважды поливают противовирусными средствами – Бактофитом, Планризом с промежутком в неделю. После при поливе подкрашивают до яркого розового цвета марганцовкой. |
Если черную ножку обнаружили после пикировки, сохраняют кустики редкого или дорогого сорта следующим образом:
- готовят продезинфицированную почву, емкости;
- срезают верхушку растения;
- ставят на сутки в воду со слабым марганцевым раствором;
- укореняют в подготовленном субстрате.
Профилактика угрозы черной ножки:
- дезинфекция посадочной смеси, емкостей, инструментов;
- предпосевная обработка семян (кроме дражированных);
- посадка на рекомендованной дистанции между семенами;
- умеренный полив;
- доступ свежего воздуха для вентиляции всходов.
Черная ножка, особенно грибкового происхождения, способна безвозвратно уложить рассаду за пару дней. Поэтому проще изначально соблюдать рекомендации, чем после спасать от самой ранней болезни рассаду помидоров.
Фитофтороз
Болезнь, характерная для взрослых томатов, губит рассаду, если грубо нарушены правила севооборота или отобраны семена с кустов, пораженных фитофторой. Молодые помидорные кусты справляются с инфекцией, но становятся носителями грибка. Когда растение достигнет возраста, подходящего для расцвета инфекции, грибок возьмет свое. Поэтому обрабатывают (см. препараты в таблице) весь срок вегетации, чтобы сдержать инфекцию.

| Причины | Симптомы | Что делать | Чем лечить |
| В составе посадочной смеси земля из-под пасленовых. Зараженные грибком phytophthora семена. Стремительно распространяется при умеренной (как раз подходящей для выращивания рассады) температуре и постоянно сыром грунте. Густая посадка со слабым вентилированием всходов. Перенасыщение азотом облегчает распространение грибка. | Сначала на кончиках листьев – проступают маленькие бурые пятна. Темные точки разрастаются, чернеют, ткани внутри сохнут, высыпаются. С изнанки листа появляется белесоватая окраска. Дойдя до черешков, фитофтороз расчерчивает побег черно-коричневыми штрихами. | Если сорт не особенно ценен, растения с признаками инфекции удаляют. Оставшуюся рассаду поливают реже. Усиливают проветривание посадок. Прекращают внесение мочевины или других подкормок с высоким процентом азота в составе. | Главные меры борьбы – препараты, в составе которых есть медь: Ордан, ХОМ, Курзат М, Оксихом, Абига-Пик. Применяют Акробат, Дитан М-45, Профит, Ридомил голд. После основного лечения сдерживают новую вспышку биофунгицидами, народными средствами: молоко с йодом, луково-чесночные настои. Перед пересадкой в теплицу или на грядку повторяют обработку медьсодержащими средствами. |
- соблюдение севооборота при подготовке посадочного субстрата;
- обработка всех компонентов посевного процесса;
- семенной картофель и рассаду (даже семена) хранят в разных помещениях;
- рассаде на подоконнике дают регулярно проветриваться;
- сеют не вплотную;
- соблюдают дозировку удобрений;
- поливают умеренно, повышают температуру содержания рассады.
Септориоз
Грибок septoria обживает поначалу нижние листья, после гибели которых перебирается выше. Другое название болезни – белая пятнистость – указывает на отличие от других инфекций.

| Причины | Симптомы | Что делать | Чем лечить | ||||||||
| Холод и сырость – благоприятная среда для активизации грибка в необработанном грунте, в котором росли пасленовые. | Грязно-белесые мелкие пятнышки хаотично покрывают листовую пластину. Разрастаясь, крапины обрамляются бурой каймой, а на светлом поле проступают черные точки. Постепенно на пораженном месте не остается здоровых тканей, лист закручивается, от центра пятен к краям засыхает, опадает. К этому времени заметно, что болезнь перебралась на верхнюю часть томата. | Заподозрив септориоз, повышают температуру воздуха, регулируют поливы. От листьев на подросших кустах, пораженных пятнистостью, избавляться безжалостно. | Чем раньше томаты заболевают, тем меньше шансов спасти. Лечат препаратами с медью (см. фитофтороз) + Байлетон, бордосская смесь, медный купорос, Ровраль. После двух обработок (перерыв 10 суток) для защиты применяют биопрепараты, в поливочную воду добавляют марганцовку. Землю опудривают золой. Меры профилактики те же, что и от фитофтороза. Протравливание посадочного материала, дезинфекция грунта прежде всего. Спасти молодую рассаду от заразы невозможно, поэтому лучше защищать томаты от инфекции еще до посева. Совет опытных садоводов: чтобы на подоконнике земля не остывала от холодного пластика, под емкости с рассадой подкладывают пенопласт и подложку под ламинат. Томаты любят свежий воздух, но молодые всходы пострадают от сквозняка. А если от окна дует, то и подросшая рассада ослабнет. Фузариозное увяданиеЧаще поражает недавно распикированные томаты. Фузариум – теплолюбивый грибок, но переувлажненный грунт любит, как и предыдущие возбудители инфекций.
ГнилиСерия инфекций, вызванных активностью грибков во влажной среде:
Даже справившись с инфекцией, садовод поддерживает здоровье рассады методами, которые помогают сдержать рецидив:
Поддерживающие меры продолжают после высадки на участке. БактерииЕсли грибы любят сырость и прохладу, то бактериям комфортно во влажных условиях и широким температурным диапазоном. Но больше любят тепло – 25-30. Микроорганизмы годами сохраняются на семенах, в грунте, поэтому дезинфекция почвы и посадочного материала – первооснова здоровой рассады. Второй фактор риска – вредители. Прокалывая ткани листа или обгрызая зелень, насекомые и клещи заносят возбудителей болезни. Бактериальное увяданиеСимптоматика схожа с фузариозом:
Определяют, что увядание именно бактериальное, по срезу стебля: внутри ткани уже превратились в кисель. Это слизь, которую выделяют бактерии. Томаты погибают, потому что разрушены и забиты отходами жизнедеятельности паразитов каналы, передающие питание и влагу от корней к макушке. Уже пораженные бактериозом помидоры спасать бесполезно. Но за оставшиеся кусты, подверженные угрозе, борются:
Если поймать начало болезни, макушку (срез чистый, здоровый) укореняют. Но выращивают с регулярными профилактическими обработками. Бактериальная крапчатостьЕсли контролировать болезнь, сдерживая активность бактерий, томаты развиваются, цветут, плодоносят. Но опрыскивание, поливы бактерицидными препаратами регулярны (до 2 раз в месяц).
Обработка против вредителей снизит риск распространения болезни. Другие бактериальные инфекции на томатахНа рассаде бактерии паразитируют и до момента, когда пора пикировать, и после – вплоть до переселения на грядку. Высокая температура воздуха на подоконнике и влажная почва пробуждают микроорганизмы, вызывающие:
Препараты с бактерицидным эффектомДля обработки грунта и зараженных растений:
Чтобы не добить больные томаты неправильным лечением, соблюдают инструкции. ВирусыПервый проявленный признак вирусной инфекции на рассаде томатов – желтизна на листьях. Поэтому нередко путают с хлорозом и начинают подкармливать. А пора лечить. Опасность вирусных заболеваний – поздняя и крайне сложная диагностика. Распознать конкретного возбудителя болезни по силам профи. Обычные дачники, не гадая, выдергивают заразные помидорные всходы, обрабатывают грунт фунгицидами, марганцовкой, а оставшуюся рассаду:
Вирусы живут до лучших времен на семенах, реже– в грунте. Вредители переносят инфекцию, поэтому борьба с насекомыми, клещами тоже относится к антивирусной профилактике. МозаикаРасцвеченные желтыми или бледно-зелеными пятнами листья говорят о табачной мозаике. Болезнь характерна на поздних сроках выращивания рассады и далее – в отрытом грунте, теплицах. Томаты вряд ли погибнут. Но урожайность на слабых недоразвитых кустах – это не то, о чем мечтал садовод. СтрикНазвание созвучно с более привычным и подходящим к ситуации словом «штрих». На стебле, черешках, листовых пластинках темные пунктиры, продольные полосы. Заподозрив вирус, садоводы тщательнее моют руки, работая спасателями рассады: инфекция перейдет на здоровые растения буквально с пальцев дачника. Рекомендации по защите томатной рассады в видео от опытного садовода-блогера: Посадить зараженное растение – значит подвергнуть инфекции остальные кусты. Поэтому осматривая всходы, садовод контролирует состояние томатов, чтобы вовремя опрыскать или полить лечебным раствором. Болезни рассады томатов: описание и способы их лечения
Рассада томатов нередко выращивается в неблагоприятных условиях — недостаточное освещение, прохлада, перепады температуры и сырость. Это провоцирует заболевания молодых неокрепших растений. В статье мы расскажем о болезнях, которым подвержены помидоры, о том, как их лечить и какие меры принять для профилактики. Болезни рассады томатов и способы их лечения в домашних условияхПеред тем, как начать лечить заболевшие молодые томаты, нужно определить возбудителя болезни. Внимательно следите за рассадой — болезнь можно обнаружить по изменению цвета, по форме листьев, стебля. При первых признаках недуга необходимо подобрать правильный препарат, ведь те средства, которые применяются в открытом грунте, не всегда подходят для домашних условий. Возбудителями болезней рассады томатов бывают грибки, бактерии и вирусы. Патогенная микрофлора может обитать везде — в почве, на посевном материале и инвентаре, переноситься по воздуху и насекомыми, передаваться от больного растения к здоровому. Появление возбудителей чаще наблюдается при повышенной влажности и у слабых экземпляров. Причиной плохого состояния молодых помидоров может быть нехватка минеральных веществ. Оптимальная влажность грунта для развития рассады находится на уровне 80 %, а воздуха — около 50–60 %. Влажность помещения, где находится рассада томата, не должна превышать 75 %. ГрибковыеЧасто поражают рассаду томатов грибки. Рассмотрим вызываемые ими заболевания. ФитофторозСимптомы: на листьях появляются тёмные пятна, затем они перебрасываются на стебель и в итоге растение засыхает. Споры фитофторы могут находиться в земле, занестись воздухом при проветривании помещения, быть на семенном материале, таре, инструментах. Они начинают активно развиваться при повышенной влажности, перепадах температуры и быстро поражают загущенную рассаду. Фитофтороз нередко вызывается сыростью помещения, переувлажнением грунта, опрыскиванием растений водой, семенами, собранными с заражённого фитофторой томата. При обнаружении признаков фитофторы растения проводят опрыскивание рассады препаратами меди — бордоской жидкостью (0,7 %) или медным купоросом (0,1 %). Чёрная ножкаПризнаки: у основания томата появляется чёрное пятно, стебель в месте поражения истончается, гниёт, а затем растение наклоняется и падает. Чёрная ножка нередко появляется на фоне нехватки света. Причинами её возникновения является загущенность посадок, пасмурная погода, переувлажнение грунта, сырое помещение. При появлении чёрного пятна внизу стебля рассады помидор землю поливают слабым раствором марганца или медного купороса (5 гр. на 1 л воды), препаратом «Фитоспорин-М», «Бактофит», «Фундазол», «Максим». Кроме обработки химпрепаратами, посыпают поверхность почвы смесью из песка, золы и доломитовой муки. ГнилиГниль бывает: белая, серая, чёрная. Споры её живут в земле и начинают активную жизнедеятельность при повышенном уровне влажности. Признаки: стебель покрывается пятнами характерного для типа этой болезни цвета, постепенно переходящими на другие части растения. Больные кусты утилизируют, а здоровые опрыскивают бордоской жидкостью или медным купоросом, как в случае с фитофторозом. Фузариозное увяданиеПоражает корни, при этом стебель томата темнеет и слабеет. Растение начинает вянуть с верхней части, листва светлеет, листочки загибаются и опадают. Источником поражения являются необработанный грунт, семена, а сама болезнь развивается на фоне недостатка света при высокой влажности. Заболевшие томаты утилизируют, а внешне здоровые опрыскивают «Фитоцидом», «Триходермином», «Фитоспорином-М». КладоспориозЭто заболевание называется ещё бурой пятнистостью, так как для него характерно образование на листьях рассады коричневатых пятен. Они появляются на тыльной стороне листа и имеют шероховатость. Сначала на поверхности проступают желтоватые пятна. В результате развития кладоспориоза лист буреет, скручивается и отпадает. Споры грибка развиваются на фоне повышенной влажности — переувлажнения грунта, сырости, полива холодной водой. У растения удаляют поражённую листву и обрабатывают бордоской жидкостью (1 %), «Барьером» или «Заслоном». Сухая гнильЭта болезнь, называемая ещё альтерналиозом, сначала проявляет себя появлением бурых пятен на тыльной стороне. Болезнь поражает весь лист, он становится коричневым и отпадает. После осыпания листвы грибок переходит на стебель. Развивается при повышении влажности вследствие переувлажнения почвы или скачков температуры, и активно распространяется при тёплой погоде. Обнаружив сухую гниль, следует применять химпрепараты, например, «Акробат», «Дитан», «Квадрис». Мучнистая росаПризнаки: на листве заметно образование белого налёта, который перейдёт в хлороз, а затем некроз зелени. Листья становятся морщинистыми и желтеют. Грибок живёт в почве и может развиться при поливе рассады холодной водой. Применяют фунгициды — «Квадрис», «Строби» или «Топаз». Через время обработку ими повторяют. Белая пятнистостьПризнаки: листья внизу растения покрываются чёрными точками, становятся коричневыми, сохнут и отпадают. Болезнь проникает из не прошедшего обработку грунта. Болезнь можно остановить только на начальной стадии. Рассаду обрабатывают медным купоросом или бордоской жидкостью. ВирусныеЭти болезни выявить на стадии рассады непросто. Следует внимательно рассматривать молодые растения. МозаикаНа листках появляются светлые пятна, и листва томата становится пёстрой вследствие чередования, жёлтых, бледно-зелёных и зелёных листов. Потом она опадает. Нередко заражение мозаикой происходит через необработанные семена. Заболевшую рассаду выбрасывают, а оставшуюся обрабатывают слабым раствором марганцовки или раствором мочевины (5 %). АспермияЭто заболевание вызывает задержку развития томатов, выражающееся в мелких листьях, деформации и мельчании плодов, в которых отсутствуют семена. Болезни передаются насекомыми-вредителями (например, тлёй), некачественным посадочным материалом и заражённой почвой. Она активно развивается в загущенных посадках, в тепле и влажности. Заболевшие экземпляры утилизируются. СтрикЭтот вирус атакует зелёную часть растения и на рассаде наблюдаются характерные штрихи. Болезнь схожа на фитофтороз, но при ней листья сильнее сохнут. Заболевание поражает рассаду через заражённые грунт и семена. Больные растения не подлежат лечению и их утилизируют. БактериальныеБактерии обычно поражают слабые растения. Бурая пятнистостьНа листках появляются желтоватые пятна, которые соединяются вместе и буреют. Обратная сторона становится оливкового оттенка, а затем приобретает красный оттенок. Развивается на фоне повышенной влажности. Проводят обработку препаратами меди (бордоская жидкость, медный купорос). Можно применить химсредства: «Фитолавин», «Фитоспорин М». Чёрная пятнистостьНа больной рассаде появляется россыпь чёрных пятен, на стеблях и листве. Заражение случается через не дезинфицированную почвосмесь, семена, контейнеры или инвентарь, быстро развивается при повышенной влажности. Лечение заключается в обработке 1 % бордоской жидкостью. Применяются химические препараты: СтолбурПри этой бактериальной болезни рассада мельчает и покрывается пятнами розоватых или фиолетовых тонов. Наземная часть становится грубой. Столбур переносится насекомыми и проводит зиму в корнях сорняков-многолетников. Сильно поражённые растения выбрасывают. При первых признаках рассаду два раза обрабатывают бактерицидным препаратом «Фитоплазмин». Для восстановления бактериальной микрофлоры грунта через 4 дня поливают почву бактериальным препаратом «Экстрасолом». Бактериальное увяданиеРассада начинает беспричинно увядать. Поникают сначала нижние листья, а затем всё растение. Когда болезнь сильно развилась на стебле, по его длине можно заметить коричневатые полосы. Возбудитель бактериального увядания передаётся посредством заражённой почвы, инвентаря, воды. Поражает ослабленные растения и активно развивается при повышенной влажности, особенно когда при поливе вода попадает на зелень. Поражённую рассаду выбрасывают, а оставшуюся обильно обрабатывают из пульверизатора раствором «Фитофлавина-300» (1 %). Бактериальный ракЭто тяжёлое бактериальное заболевание поражает томат изнутри стебля, вызывая появление язвочек. Само растение начинает увядать. Передаётся через заражённую почву, семена, растения. Часто проникает через повреждения на томате. Больные растения уничтожаются, а здоровые опрыскивают «Фитофлавином» (0,2 %). НеинфекционныеЗаболевания рассады томатов могут быть без наличия возбудителя. Причинами выступают недостаток витаминов и минеральных веществ. К ним относят следующее:
Профилактические меры против заболеваний помидоровЛюбые болезни, в том числе и для томатов, лучше предотвратить, чем лечить. Ведь многие заболевания растительных культур значительно снижают урожай и качество получаемых плодов, а некоторые плохо поддаются лечению. Специалисты-огородники рекомендуют следующие профилактические меры против ряда заболеваний томатов:
Полезные рекомендации по лечениюПри выявлении заболевших растений специалисты рекомендуют:
Существуют народные рецепты, помогающие избавиться от многих заболеваний томатов:
Такие опрыскивания рекомендуют повторять через 10–14 суток для закрепления эффекта. Для любых предложений по сайту: zemlycraft@cp9.ru |
Pythium;








Белая, серая и чёрная гниль









