Сорт картофеля «Вега»: характеристика, описание, урожайность, отзывы и фото
![]()
Картофель раннего срока созревания популярен у огородников. Он отлично подходит как для продажи, так и для личного употребления. К ярким представителям таких сортов относится картофель «Вега», имеющий хорошие вкусовые качества, дружное созревание и высокую урожайность.
Видео про семенной картофель Вега, перед уборкой урожая:
История происхождения сорта картофеля «Вега»
Картофель «Вега» вывели селекционеры из Голландии.
Год внесения в Госреестр — 2013.
Его активно выращивают в Белоруссии, на Украине, в России. Рекомендованный регион для культивирования — Центральный.
Описание сорта
Корнеплоды:
- Клубни некрупного размера;
- Имеют овальную либо округло-овальную форму;
- Кожура желтого цвета;
- Мелкие, малочисленные глазки, неглубоко залегающие;
- Мякоть темно-желтого цвета;
- Средняя масса 90-120 грамм;
- Содержание крахмала варьируется от 10 до 16%;
- Урожай с одного куста около 10 крупных клубней. Нетоварная мелочь почти отсутствует;
- Высокое содержание белка, витаминов, каротина, аминокислот.
Побеги:
- Растение среднего размера, прямостоячее либо полупрямостоячее, промежуточного типа;
- Среднее образование зеленой массы;
- Листочки простые либо промежуточные, темно-зеленого цвета, слегка волнистые либо средневолнистые края;
- Крупные цветы белой либо кремовой окраски собраны в компактные венчики;
- Ростки белого цвета, слабо опушенные.
Достоинства, недостатки и вкусовые качества
Сорт «Вега» обладает следующими преимуществами:
- Высокими вкусовыми качествами корнеплодов;
- Ранним созреванием;
- Хорошей урожайностью;
- Отличным хранением собранного урожая;
- Устойчивостью к механическим повреждениям;
- Устойчивость к засухе;
- Высоким иммунитетом к большинству заболеваний.
Недостатки у сорта «Вега» почти отсутствуют. Особенностью являются высокие требования к питательности почвы и количеству влаги.
Особенности
Характерные особенности:
- Является столовым среднеранним сортом. Период вегетации составляет 60-70 дней;
- В среднем урожайность достигает 230-380 центнеров с гектара;
- Лежкость собранного урожая составляет 99%, без потери товарного вида;
- Сорт транспортабелен на длительные расстояния.
В таблице представлены данные по вегетационному периоду разных сортов картофеля:
| Название | Сорт | Дни |
| Никулинский | Позднеспелый | 115-120 |
| Кардинал | Позднеспелый | 110-120 |
| Рокко | Позднеспелый | 100-115 |
| Киви | Позднеспелый | 120-130 |
| Иван да Марья | Позднеспелый | 115-130 |
| Славянка | Позднеспелый | От 125 до 140 |
| Боровичок | Раннеспелый | 70-90 |
| Эльмундо | Раннеспелый | 70-80 |
| Фелокс | Раннеспелый | От 65 до 70 |
| Беллароза | Раннеспелый | От 50 до 70 |
| Наташа | Раннеспелый | От 70 до 80 |
| Каратоп | Сверхранний | От 60 до 65 |
| Ривьера | Сверхранний | От 40 до 80 |
| Жуковский ранний | Сверхранний | 60 до 70 |
| Фермер | Сверхранний | От 50 до 60 |
| Минерва | Сверхранний | 45-50 |
| Журавушка | Среднепоздний | От 100 до 120 |
| Чародей | Среднепоздний | 80-90 |
| Моцарт | Среднепоздний | От 100 до 180 |
| Рамона | Среднепоздний | От 80 до 100 |
| Лимонка или Пикассо | Среднепоздний | 120-130 |
| Янка | Среднеранний | 90-100 |
| Великан | Среднеранний | От 80 до 100 |
| Тоскана | Среднеранний | 70-90 |
| Сиреневый туман | Среднеранний | 90-100 |
| Ажур | Среднеранний | 75-85 |
Правильная посадка
Сорт «Вега» не нуждается в особом внимании в период выращивания, и неплохо переживёт воздействие небольших температурных перепадов либо влажности. Хороших показателей урожайности можно добиться при выращивании картофеля на легкой песчаной почве. Правила посадки:
- Провести предпосадочное рыхление почвы с добавлением в лунки древесной золы и компоста;
- Предварительно подготовить посадочный материал — прорастить либо прогреть;
- Посадочный материал уложить в ящики либо на стеллажи в два-три слоя. Ящики установить в светлом обогреваемом помещении с температурным режимом 15-17 ºС. Для обеспечения равномерного прорастания ящики периодически переставляют;
- Расстояние между картофельными кустами 35 см, междурядья не меньше 75 см. Клубни заглубляют на 10-12 см.
Как ухаживать:
- За сезон проводят два окучивания. Регулярно пропалывают сорную траву. Избавляются от сорняков вручную либо при помощи гербицидов;
- Сорт довольно восприимчив к поливу. Рекомендовано нечасто, но обильно увлажнять почву. Чтобы получить хороший урожай, почва должна пропитаться влагой не менее чем на 40-45 см;
- На протяжении вегетации рекомендовано дважды подкармливать растение. В период активного роста ботвы и формирования корнеплодов проводят подкормку мочевиной либо аммиачной селитрой. При второй подкормке применяют суперфосфат либо калия сульфат. Внесение минеральной подкормки необходимо как только картофель зацветет и пока не увянет ботва.
Болезни и вредители
Сорт «Вега» обладает иммунитетом против:
- Вирусных заболеваний;
- Картофельного рака;
- Табачной мозаики;
- Обыкновенной парши;
- Черной ножки.
Урожай:
Раннее созревание практически исключает фитофтороз клубней и листьев. Необходимые профилактические мероприятия:
- Обрабатывать посадки препаратами содержащими медь;
- Вершинная или корневая гниль не страшна после опрыскиваний фитоспорином;
- Почва должна быть подготовлена, в ней должны отсутствовать любые растительные остатки, являющиеся питательной средой для бактерий и вредителей;
- Для предупреждения появления тли, трипс либо паутинного клеща проводят обработку инсектицидами;
- Для избежания возможного заражения проволочником меняют участки посадок. В период отдыха участок засевают фацелией либо луговыми травами;
- Бороться с колорадским жуком необходимо народными средствами и химическими препаратами.
Самые вкусные и урожайные сорта картофеля:
Сбор урожая
Как только полностью засохнут стебли и листва, приступают к сбору урожая. Тонкая, но крепкая кожура является отличной защитой клубней при копке. Собранному урожаю необходима обязательная просушка.
При солнечной погоде клубни могут получить солнечные ожоги, которые способствуют порче урожая. Не рекомендовано оставлять собранные корнеплоды на участке на ночь, поскольку возможно воздействие внезапных ночных либо утренних заморозков, которые подморозят урожай.
Отзывы о сорте
У клубней сорта «Вега» приятный насыщенный вкус, отсутствует водянистость и чрезмерная сухость. Средний показатель содержания крахмала делает клубни универсальными: их можно жарить во фритюре, добавлять в супы, готовить гарниры, овощные чипсы, фаршировать и запекать. Клубни не подвергаются развариваемости, не теряют своей формы. Не подходят для приготовления пюре. Высокое содержание каротина позволяет использовать картофель в детском и диетическом питании. При разделывании и приготовлении мякоть не темнеет.
Предлагаем Вам ознакомиться с сортами картофеля, имеющими разные сроки созревания:
Картофель сорта «Вега» является вкусным, красивым и полезным. Поскольку корнеплоды не способны накапливать нитраты, «Вега» подходит для диетического и детского питания. Из-за неприхотливости в уходе, картофель могут выращивать даже начинающие огородники.
Популярные сорта картофеля:
Раннеспелый столовый сорт картофеля Вега
Картофель Вега дает богатый урожай даже в условиях короткого лета. Сорт устойчив к ряду опасных для семейства пасленовых заболеваний и быстро адаптируется к резким перепадам температур. Культура не требует применения сложных агротехнических приемов, а ее вкусовые качества всегда оправдывают ожидания огородников.
Что это за картофель
Сорт картофеля Вега (Vega) принадлежит к столовому типу и отличается ранними сроками созревания и высокими показателями плодоношения.
Происхождение и развитие
Родина картофеля Вега – Германия. Немецкие специалисты упорно трудились над созданием новой культуры, получив в результате высокоурожайный и раннеспелый сорт, который со временем приобрел популярность не только на Западе, но и в России, Белоруссии и на Украине.
В Госреестр РФ культура попала в 2013 году. Несмотря на небольшой срок существования сорт известен многим огородникам во всех регионах.
Это интересно! Из-за мировой известности картофеля и неоценимого вклада в пищевую индустрию в Бельгии открыт Музей, посвященный этому овощу. В нем содержится множество экспонатов, включая картины известных художников.
Отличительные черты, характеристика сорта
Средний вес спелых корнеплодов 90-130 г, форма овальная. Кожура светло-желтого цвета с едва заметными мелкими глазками. Толщина шкурки средняя, она достаточно прочная, поэтому овощи обладают повышенной лежкостью. Сохранность урожая — до 99% от всей массы.
Мякоть отличается светлым цветом, ближе к лимонному, который не темнеет при термической обработке. Вкусовые качества на высоком уровне, благодаря чему картофель подходит для приготовления любого блюда, а также чипсов, замороженных овощных смесей и фаст-фудов.
Назначение спелых овощей столовое. Содержание крахмала колеблется в пределах 10-15%. На его образование влияет почвенный состав. Чем питательнее почва, тем выше содержание крахмала.
Описание растения
Куст средней высоты, прямостоячий. Листья насыщенно-зеленые, некрупные, облиственность умеренная. При цветении образуются белые аккуратные цветки с кремовым оттенком.
Культура устойчива к длительной засухе и отлично адаптируется к кратковременному похолоданию. Сроки созревания ранние, к сбору урожая приступают на 60-70 день после посадки.
Растения наделены стойким иммунитетом к картофельному раку, золотистой нематоде и вирусу картофельной мозаики. А вот к фитофторозу у культуры наблюдается средняя устойчивость.
О других сортах картофеля:
Урожайность
Картофель Вега идеально подходит для разведения в промышленных масштабах и востребован среди фермеров-предпринимателей. Средний показатель урожайности — 250-300 ц/га. Но при грамотном уходе и плодородной почве показатели увеличиваются до 450 ц/га.
На 1 саженце формируется не менее 8 крупных картофелин. Все корнеплоды почти одного размера, выровненные.
Как выращивать картофель
На качество готовой продукции влияет не только грамотный уход в вегетационный период, но и предпосевная обработка семенного материала. При соблюдении необходимых и простых правил гарантирован богатый и вкусный урожай.
Предпосевная подготовка
Для посадочного материала отбирают клубни не более 100 г (размером с куриное яйцо). Их тщательно осматривают и оставляют лишь здоровые, без видимых повреждений и неизмененные в цвете.
Подготовку клубней начинают за 1 месяц до посева в грунт. Отобранные картофелины раскладывают в светлом помещении для проращивания. Температуру поддерживают на отметке +15°C. В течении месяца росточки на клубнях вырастают до 1,5-2 см.
Непосредственно перед посадкой посевной материал обрабатывают слабым раствором марганцовки или препаратом «Фитоспорин» в целях дезинфекции.
Справка! Для повышения иммунитета за 1 неделю до посева картофелины выносят на улицу на 1 час. Эта процедура носит название закаливание и способствует укреплению иммунитета растений и более скорой адаптации к уличным условиям.
Сроки, схема и технология посадки
Высаживать в грунт начинают в последних числах апреля или начале мая. Окончательные сроки подскажут климатические условия региона. Дневная температура воздуха должна устояться на отметке +17…+19°C, а минимальная температура почвы +9°C.
Почву выбирают легкую и плодородную. Для легкости в нее добавляют речной песок или торф.
Почву готовят с осени, перекапывают и вносят перегной и древесную золу для плодородности.
Схема посадки: 35 см – расстояние между саженцами, 70 см оставляют между рядами. Глубина лунок не более 15 см. На дно каждой кладут немного древесной золы и заливают водой. После посадки клубни засыпают землей и слегка увлажняют.
Справка! Многие огородники ориентируются на березовые листья. Как только распустятся первые листочки, можно приступать к посадке.
Дальнейший уход
Уход за разновидностью не подразумевает каких-либо сложных процедур. Все агроприемы сводятся к стандартным правилам выращивания, а именно: поливу, рыхлению, прополке и окучиванию.
Главное — выдерживать режим и не допускать переизбытка или недостатка влаги. Хотя культура адаптирована к длительной засухе, не стоит злоупотреблять этой особенностью, если вы хотите получить вкусные клубни товарного вида.
Полив

Первый раз поливают посадки, когда саженцы достигнут высоты 10 см. До этого орошают только при сильном пересыхании грунта. В дальнейшем поливают нечасто, но обильно. Обязательно контролируют уровень влажности на грядках. Это особенно важно для всех растений, подверженных грибковым заболеваниям.
После полива проводят рыхление. Доступ кислорода к корневой системе необходим для полноценного роста кустиков и укрепления их иммунитета. Во время рыхления проводят прополку, удаляя всю сорную траву с корнями, чтобы она не препятствовала здоровому росту саженцев.
Совет! Использование капельного орошения исключает повышенный уровень влажности на грядках: вода подается исключительно к корням саженцев и не застаивается в грунте.
Окучивание не менее важная процедура, чем полив или рыхление. Способствует образованию новых корешков, что благотворно сказывается на плодоношении. Растения окучивают трижды за сезон, сгребая мотыгой землю с междурядий на кустики. К тому же окучивание уберегает клубни от попадания солнечных лучей.
Подкормки
Подкармливают саженцы не менее 2 раз за сезон. Во время роста и формирования корнеплодов в качестве удобрений применяют органические соединения, например, мочевину.
В период цветения и на момент плодоношения культуру удобряют полным минеральным комплексом с преимущественным содержанием калия и фосфора.
При плохом росте кустиков после пересадки используют азотистые вещества, которые помогают растениям нарастить зеленую массу.
Справка! Любые подкормки вносят после обильного полива.
Борьба с болезнями и вредителями
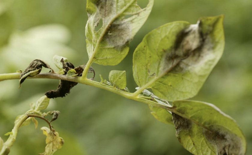
Фитофтороз – наиболее серьезное заболевание для пасленовых культур, сложно поддающееся лечению. Соблюдение технологии посадки и проведение предпосевной обработки – это обязательная и важная мера профилактики.
При достаточном расстоянии друг от друга саженцы будут проветриваться и получать необходимое количество света. При умеренном поливе уровень влажности превышаться не будет, а значит, снизится риск развития грибковых спор.
Еще одна важная и необходимая мера в борьбе с фитофторой – соблюдение правил севооборота. Картофель не высаживают на те грядки, где раньше росли перец, баклажаны и томаты. Лучшие предшественники — зелень и бобовые. После них почва сохраняет плодородность, будучи напитана азотом.
Проводя профилактику грибковых заболеваний, не забывайте о насекомых-вредителях, от которых саженцы страдают не меньше, чем от болезней:
- Колорадский жук способен уничтожить посадки за несколько дней. Помимо взрослых особей, для растений опасны личинки. При осмотре кустиков важно переворачивать листья, иначе личинки останутся незамеченными. При массовом поражении используют инсектицид «Престиж». При небольшом количестве жука с личинками собирают вручную.
- Проволочник обитает в почве и поражает корнеплоды, которые впоследствии сгнивают в земле. Перекопка грунта осенью и перед весенней посадкой – действующая профилактика в борьбе с вредителем. Также проволочник не переносит горчицу, поэтому при посадке клубней достаточно насыпать в лунки немного горчичного порошка.
Сбор, хранение и применение урожая
Урожай выкапывают лопатой или вилами. Плотная шкурка снижает риск механического повреждения корнеплодов. Копают картошку, как только начнет увядать листва. После сбора клубни раскладывают сушиться на солнце в течение нескольких часов.
Прежде чем закладывать овощи на долгосрочное хранение, их тщательно осматривают, испорченные утилизируют. Картофель укладывают в деревянные ящики и оставляют в сухом прохладном помещении.
Лежкость у Веги высокая, поэтому клубни сохраняют товарный вид и вкус до самой весны. Длительные транспортировки также не влияют на сохранность готовой продукции.
Спелые овощи имеют универсальное назначение и применяются не только в личном хозяйстве, но и на крупных производствах. Из них готовят чипсы, полуфабрикаты и фаст-фуд. Также картофель охотно закупают ресторанные сети. В домашнем хозяйстве из Веги готовят всевозможные блюда, которые отличаются насыщенным вкусом и приятным цветом.
Преимущества и недостатки
Сорт картошки Вега имеет значительные преимущества:
- высокий показатель плодоношения;
- возможность разведения для продажи;
- устойчивость к засухе;
- адаптация к похолоданию;
- раннеспелость;
- отличный вкус;
- долгосрочная сохранность;
- длительные транспортировки.
К недостаткам относят подверженность к фитофторе. Но при проведении необходимых мер профилактики культура не склонна к заболеванию.
Для каких регионов подходит лучше всего
Вегу разводят не только на всей территории России, она отлично прижилась на Украине и в Белоруссии. Высокую урожайность разновидность показывает во всех регионах, хотя наиболее подходящей по климату и составу почвы считается Центральная часть РФ.
Отзывы фермеров
Огородники рассматривают Вегу только с положительных сторон. Вот мнения некоторых фермеров:
Владимир, Москва: «Долго думал, какую картошку сажать, и выбрал Вегу — понравилось описание и фото сорта. Что я могу о ней сказать? Вегетационный период прошел легко, саженцы не болели, стояли ровные и красивые. Клубней собрал много, поливал нечасто, но обильно, земле пересыхать не давал. Овощи вкусные, при варке не рассыпаются, при жарке сохраняют свой цвет. Картошка хорошо сочетается с майонезом, поэтому ее можно добавлять в любой салат».
Екатерина, Минск: «Сорт требует много воды, поливать нужно обильно. При нехватке влаги клубни значительно мельче, но вкусовые свойства не теряются. Готовить из овощей можно все, что душа пожелает. Мне больше всего эта картошечка нравится в борщах и рагу с другими овощами. Уход за Вегой несложный, кустики не болеют, но я изначально защищаю их от фитофтороза».
Заключение
Картофель Вега не принадлежит к отечественным разработкам. Но это не помешало ему заполнить многие российские грядки. Культура обладает высоким показателем плодоношения, достигающим до 450 ц/га, отличается устойчивостью к засухе и кратковременному похолоданию, невосприимчива ко многим опасным заболеваниям и обладает повышенной лежкостью. Практически весь урожай сохраняется до весны, не теряя пищевую ценность и товарный вид.
Описание картофеля сорта Вега
Ранние сорта картофеля ценятся за возможность получать урожай через короткое время после посадки. Популярность видов напрямую зависит от характеристик, отзывов овощеводов, вкусовых показателей. Вега картофель, который выведен голландскими селекционерами, полностью соответствует заявленным требованиям.

Описание сорта
Оригинатором составлено описание сорта картофеля Вега. Дополнительным источником информации служат отзывы овощеводов. Голландский картофель относится к столовым сортам среднераннего срока созревания. Урожай готов к сбору через 55-60 дней после посадки. Основные характеристики:
- Сорт формирует кусты среднего размера с прямостоячей или полупрямостоячей ботвой.
- Растение среднеоблиственное, стебли покрыты листьями темно-зеленого цвета с волнистыми краями.
- Цветки крупного размера окрашены в кремовый цвет и собраны в венчики.
- Клубни – гордость селекционеров сорта Вега. В одном кусте формируется до 9-10 ровных картофелин. Корнеплоды вызревают среднего или крупного размера, массой до 100 г и с немногочисленными глазками. Кожура без пятен, средней плотности. Цвет мякоти темно-желтый, кожура окрашена в более светлый тон. Картофель с приятным вкусом, содержание крахмала в клубнях 10%…16%.
Выращивается Вега в Центральном районе России, Белоруссии, Украине.

Достоинства и недостатки
При выборе вида для посадки картофелеводы обращают внимание на его плюсы и минусы. К достоинствам сорта картофеля Вега относят:
- Показатель урожайности, который составляет от 24 до 40 кг с 1 кв. м площади. Урожайность зависит от агрофона выращивания культуры.
- Вкусовые качества, питательность, универсальность применения корнеплодов.
- Одновременность созревания клубней в кустах.
- Высокая транспортабельность, лежкость (до 99%), способность к механической уборке.
- Устойчивость к заболеваниям культуры. Сорт не поражается фитофторозом ботвы и клубней, паршой, ризоктониозом, раком.
- Неприхотливость к условиям выращивания и структуре почвы.
Минусы немногочисленны – требовательность к поливу, поражение посадок колорадским жуком.

Посадка
Посадка картофеля – важный этап. От качества проделанной работы напрямую зависит урожайность сорта Вега. Овощеводам новые знания не понадобятся. Картофель Вега относится к неприхотливым и устойчивым сортам, хорошо переносит климатические и погодные колебания. При посадке основное внимание уделяют подготовке семян и грунта.
Клубни сорта проращивают и прогревают, предварительно отобрав здоровые неповрежденные экземпляры. Корнеплоды с нехарактерной формой или малой массой (менее 30 г) откладывают в пищу.
Проращивают картофель Вега в ящиках или на стеллажах, уложив слоями. Температуру воздуха в комнате поддерживают в пределах +15°С…+17°С, держат ящики при хорошем освещении. Чтобы картофель прорастал равномерно, емкости периодически переставляют, а клубни орошают водой.
После появления ростков, посадочный материал закаливают. Для этого 2-3 раза резко снижают температуру на 6°С, чтобы стимулировать рост глазков.

Подготовка почвы
Наибольшая урожайность сорта Вега отмечена при посадке картофеля на песчаной и легкой по структуре почве. Готовят грунт заблаговременно:
- Осенью рекомендуется на будущей картофельной грядке посеять сидераты. Сделать это нужно в середине сентября. Для картофеля подходит пшеница, рожь или ячмень.
- Перекопать участок в конце осени, при этом оставлять крупные комья без разбивания. Прием позволяет снизить количество сорных трав при выращивании сорта Вега. Большие комья хорошо промерзают, и семена уничтожаются.
Весной почву рыхлят, подготавливают лунки или борозды. На дно укладывают компост и золу древесную.
При промышленном выращивании посадку выполняют механизированным способом.

Высаживание
Посадку назначают на конец апреля или начало мая. Дата зависит от климата региона выращивания и погодных условий. Важно, чтобы прогрев почвы был достаточным для прорастания клубней. Высаживание картофеля Вега состоит из нескольких этапов:
- Отбраковка посадочного материала после проращивания. Удаляют клубни с тонкими нитевидными ростками или вообще без проростков.
- Подготовка лунок. Глубина лунки 10-12 см, расстояние между ними – 35-38 см. междурядья оставляют от 70 см до 80 см.
- Внесение посадочных удобрений. Для картофеля полезно добавить в лунки золу древесную и компост.
- Раскладка клубней и засыпание землей.
По рекомендациям картофелеводов, полив сорту Вега после посадки не требуется.

Сортовой картофель дает хороший урожай, если окучить кусты не менее 2 раз в течение периода вегетации. Прополка сорняков – еще один способ улучшения урожайности. Кроме этого, Вега нуждается в регулярном поливе и подкормках.
Полив
Чувствительность сорта к поливу достаточно высокая. Требуется обильное увлажнение, но часто этого делать не нужно. Главное, чтобы в момент полива земля пропитывалась влагой не менее, чем на 40 см. Надежным способом качественного орошения картофеля Вега является прокладывание капельного полива.
Удобрение
Голландскому сорту достаточно двух подкормок за сезон, чтобы сформировать хороший урожай. В первый раз картофель подкармливают в фазе образования клубней. Вега хорошо отзывается на внесение азотных удобрений – аммиачной селитры или мочевины. Повторно подкармливают сорт после начала цветения. Теперь понадобится сульфат калия и суперфосфат для роста клубней. Второй раз вносить удобрения разрешается до первых признаков увядания картофельной ботвы.
Обработка от вредителей
Нужно защищать посадки картофеля Вега от нападений колорадского жука. Способы борьбы используются разные. Кроме механического уничтожения взрослых особей и личинок, картофелеводы применяют народные составы или специальные средства. Обработки против колорадского жука проводят растворами химических препаратов «Сонет» или «Регент». Готовят составы строго по инструкции, используют средства личной защиты. Среди травяных рецептов лучший результат дают настои цветков акации или чистотела.
Самым безопасным способом для человека является опудривание кустов древесной золой. При этом грядки обрабатываются без пропусков. Кусты, на которых вредителей нет, тоже посыпают золой. Удобнее всего это делать с помощью веника или сита.
Сорт картофеля Вега
Вега — немецкий раннеспелый сорт картофеля (Solanum tuberosum) столового назначения. Выведен специалистами компании «Norika Nordring-kartofelzucht-und Vermehrungs-GmbH». В 2013-ом году был зарегистрирован в госреестре селекционных достижений РФ. Допущен к выращиванию в Центральном регионе России (Брянская, Тульская, Смоленская, Владимирская, Ивановская, Рязанская, Московская, Калужская области). Отличается красивым товарным видом клубней, устойчивостью к фитофторозу. Спокойно переносит засуху и небольшие заморозки. Пригоден к механической уборке.

Период от появления полных всходов до сбора урожая занимает 50−65 дней, первую копку можно производить на 45-й день вегетации картофеля.
Растение среднее по высоте, промежуточного типа. Стебли полупрямостоячие либо прямостоячие. Листья средние или крупные, зеленой окраски. По краям листовой пластины заметна волнистость средней или слабой интенсивности. Цветки белого окраса. Венчик большой, с очень слабой антоциановой окраской внутренней стороны, либо вовсе без неё.
В одном гнезде Веги формируется 8−10 выравненных однородных клубнеплодов, товарные из них имеют массу 87−120 грамм. Клубни у сорта овальной правильной формы, с ровной поверхностью без бугров и впадин, выглядят очень привлекательно. Кожура желтой окраски, имеет сетчатую структуру, на ощупь гладкая. Мякоть на срезе темно-желтого цвета. Глазки от очень мелких до мелких, залегают неглубоко, практически не заметны.
Товарная урожайность разновидности, по данным результатов государственных испытаний, отмечается в пределах 229−377 ц/га, что на 82−84 ц/га выше показателей Пушкинец и Дельфин. При первой копке, на 45-й день вегетации картофеля, удается получить 81−143 ц/га, что сопоставимо со стандартом Жуковский ранний. При второй копке, на 55-й день после полных всходов, было получено 109−187 ц/га, на уровне установленных нормативов. Максимальное же количество было собрано в Тульской области — 484 центнера клубней с гектара площади, на 244 ц/га больше результатов Жуковский ранний. Таким образом, нашего героя с полной уверенностью можно назвать одним из самых высокоурожайных сортов раннего срока созревания. Товарность 87−95%. Лежкость превосходная — 99%.

Вкус у Веги отменный. Он отнесен к кулинарному типу B (по классификации EAPR — европейской ассоциации исследования картофеля), клубни обладают средней развариваемостью, универсальны на кухне. Лучше всего подходят для жарки, отваривания, запекания, приготовления супов и салатов, а также овощных смесей. Да и для пюре они тоже годятся, однако оно получится не таким нежным и воздушным, как из более разваристых разновидностей. Мякоть не темнеет при нарезании и термической обработке, содержание крахмала в ней отмечается на уровне 10,1−15,9%. Как сообщают некоторые источники, наш герой отлично подходит для диетического и детского питания.
Растения умеренно требовательны к плодородию почв и климату, лучше себя чувствуют в регионах с мягкими погодными условиями, на рыхлых грунтах, богатых по питательному и минеральному составу. Особенность сорта является засухоустойчивость, что делает его пригодным для культивирования в южных областях с жарким летом. Однако и к небольшим заморозкам растения нечувствительны, что позволяет успешно выращивать картофель в более северных регионах. Одним словом, наш герой может произрастать практически по всей территории России и показывать очень впечатляющие результаты, при должном уходе, конечно.
Вега отлично отзывается на повышенное внимание. Своевременные окучивание, рыхление почвы, прополка сорняков, профилактические меры по борьбе с болезнями и вредителями, а также поливы и подкормки — всё это очень положительно скажется на количестве и качестве урожая. Есть и некоторые особенности агротехники, о которых подробнее поговорим в списке ниже.

- Клубнеплоды имеют выраженный период покоя, поэтому перед посадкой их обязательно нужно прорастить. Это будет способствовать лучшей всхожести, а также ускорению созревания.
- Специалисты рекомендуют осуществлять регулярные поливы во время цветения картофеля, однако не допускайте застоя влаги в грунте — сорт это очень плохо переносит.
- Вега отлично чувствует себя в очень жаркие сезоны, но всё же не следует забывать про поливы и, если это необходимо, притенение участка. Действенным методом может стать мульчирование гряд — оно поможет избежать сильного пересыхания грунта, а заодно и избавит от необходимости прополки сорняков.
Растения устойчивы к ризоктониозу, золотистой цистообразующей нематоде, возбудителю рака, черной ножке, вирусу Y. Средневосприимчивы к вирусу скручивания листьев и парше обыкновенной. По данным оригинатора, к фитофторозу обладают высокой устойчивостью.
Наш герой очень хорошо зарекомендовал себя как на производственных площадях крупных предприятий, так и на небольших участках огородников. Многие отмечают его неприхотливость к условиям произрастания, благодаря чему выращивать его можно в самых разных регионах России и за её пределами. Особенно ценятся высокая урожайность сорта, отличный товарный вид клубней, хорошие вкусовые качества, устойчивость ко множеству заболеваний картофеля.
Отдельным пунктом следует выделить превосходную лежкость Веги. Клубнеплоды хранятся более года, при этом не теряя свой прекрасный товарный вид и хороший вкус. Они не склонны к прорастанию, поэтому, даже при незначительных нарушениях температурного режима в хранилище, урожай не потеряет своих качеств. Клубни обладают и высокой устойчивостью к механическим повреждениям, не темнеют от ударов, благодаря чему пригодны к механической уборке и перевозке на дальние расстояния.
Из недостатков можно упомянуть чувствительность к переувлажнению почвы, а также умеренную требовательность картофеля к плодородию грунта. Однако при правильной агротехнике эти проблемы не доставят хлопот.
Сорт картофеля Вега: характеристика и описание сорта
Выращивание картофеля начинается с выбора качественного и высокоурожайного сорта культуры, который идеально подойдёт под условия среды в соответствующем регионе. В этом плане интересен неприхотливый сорт Вега, уверенно завоёвывающий предпочтения огородников и любителей картофельных блюд. Подробная информация об особенностях сорта представлена в этой статье.
История происхождения
Сорт Вега был выведен голландскими учёными-селекционерами. Благодаря своим отменным вкусовым качествам, дружности созревания и высоким показателям урожайности он быстро завоевал предпочтения жителей разных стран и сегодня успешно выращивается в Украине, Белоруссии, России. В частности, в Российский Государственный Реестр Вега внесён в 2013 году.
Характеристики и описание
Вега принадлежит к среднеспелым столовым картофельным сортам, что отлично подходят как для выращивания в промышленных целях, так и для личного употребления. Сорт стоек к атакам болезней и вредителей, а также не боится засух и резких температурных перепадов. Узнать картошку Вега можно по следующим характеристикам:
- среднему размеру прямостоячих или полупрямостоячих кустов, тип — промежуточный;
- средней степени облиственности;
- тёмно-зелёной волнистой листве;
- крупных цветках, что окрашены в белые или кремовые тона и собраны в компактной формы венчики;
- белым слабоопушённым росткам;
- некрупным клубням;
- овальной или округло-овальной форме плодов;
- окрашенной в жёлтый цвет кожуре;
- мелким малочисленным не глубоко посаженным глазкам;
- тёмно-жёлтой мякоти;
- приблизительному весу клубня 90–120 г;
- отсутствии нетоварной мелочи4
- количеству клубней в кусте, которое колеблется в пределах 8–10 штук;
- длительности периода созревания — от 50 до 60 дней.
Фотогалерея










Достоинства и недостатки
- Сортовая разновидность Вега отличается внушительным перечнем преимуществ, к которым относят:
- высокую урожайность — с одного гектара земли можно собрать 230–375 центнеров корнеплодов;
- отменные вкусовые качества — корнеплоды можно использовать и в диетическом питании, и для кормления детей;
- короткий период вегетации;
- умеренно-сухую, не водянистую структуру;
- показатель крахмала 10–16%;
- высокие показатели сохранности — 99%;
- отличную транспортабельность;
- ровность и аккуратность корнеплодов;
- устойчивость к атакам вредителей, заболеваний, а также к повреждениям механического характера;
- хорошую устойчивость к засухе и к резким температурным прыжкам;
- тонкую, но крепкую кожуру;
- одновременное созревание всех плодов;
Посадка картофеля
Продуктивность картошки Вега зависит не только от особенностей сортовой разновидности, но и от соблюдения огородником правил агротехники. Подробнее о культивировании разновидности читайте далее. 
Оптимальные сроки посадки
Идеальное время для посадки указанного вида — конец апреля – начало мая. В этот период почва будет уже достаточно прогретой, что качественно повлияет на всхожесть и рост растений.
Ознакомьтесь с особенностями выращивания других сортов раннего картофеля:
Требования к почве
Картофель Вега предпочитает рыхлые грунты песчаного типа. Но для того, чтобы добиться высокого и эффективного плодоношения, необходимо тщательно подготовить грунт к будущей посадке и улучшить его качество путём проведения следующих процедур:
- Сидерация. Если посадка будет осуществляться на следующий год, то в августе на отведённом участке нужно посадить сидераты: злаковые (пшеница, рожь, ячмень), бобовые, крестоцветные и сложноцветные растения. Такая мера подготовки поспособствует насыщению почвы азотом, поможет улучшить рыхлость и структуру грунта, повысит уровень органических веществ, а также устойчивость будущих растений к болезням.
- Обеззараживание. Дезинфицирующие работы можно начинать ещё с осени. Так, за 6 месяцев до посадки картошки землю на участке обрабатывают (100–200 г вещества /1 м²). За месяц до посадки культуры грунт можно обработать «Формалином» (развести в 10 литрах воды 250 мл 40% средства), «Фитоспорином» (6 мл/10 л воды), пропорции указаны на 1 м² участка. Непосредственно перед посадкой субстрат рекомендовано подвергнуть обработке «Триходермином» — 5 г препарата растворяют в 5 литрах воды и используют на 1 м². Нельзя одновременно проводить дезинфекцию почвы химическими (известь, «Формалин») и биологическими веществами («Фитоспорин», «Триходермин»).
- Удобрения. Ещё с осени землю на выбранном под Вегу участке необходимо удобрить соломенным перегноем и торфом. Непосредственно во время посадки в каждую посадочную яму стоит внести древесную золу и компостный субстрат.
Подготовка посадочного материала
Этот этап сводится к выбору качественных клубней и их постепенной подготовке к высадке в открытый грунт.
Посадочный материал можно начинать отбирать ещё на этапе роста картошки. Так, следует отметить самые перспективные картофельные кусты и осенью отдельно собрать из них семенной материал. Клубни для посадки должны отличаться ровностью поверхности, правильностью формы, здоровым видом, отсутствием механических повреждений или поражений вредителями. Не рекомендовано использовать в качестве семенного материала маленькие корнеплоды, вес которых ниже 60 г, — выросшие из них растения не дадут обильного урожая.
Приблизительно за 20–25 дней до посадки выбранные клубни необходимо прогреть, чтобы они проросли. Так, семенной материал рекомендовано уложить в отдельные ящики или контейнеры, в 2-3 слоя. Затем нужно обеспечить плодам хорошее освещение и тепло: оптимальная температура воздуха — +15ºС…+17ºС. Для равномерности прорастания ёмкости с посадочным материалом стоит время от времени перемещать.
Уже спустя 21–23 дня клубни пустят ростки. Это сигнал о том, что нужно начинать закаливание, которое заключается в снижении температуры воздуха, окружающего корнеплоды, до +6ºС…+8ºС. Такая мера необходима для активизации появления ростков из каждого глазка, а также для последующего равномерного прорастания всех клубней на грядке и высокого урожая.
Технология посадки
Посадочная технология и схема выглядит следующим образом:
- Подготавливаются лунки глубиной 10–12 см.
- Дистанция между посадочными ямами должна составлять 35–38 см.
- Между рядами необходимо соблюдать расстояние 70–75 см.
- Клубни с ростками помещают в лунки и закапывают.
Технология посадки картофеля
Особенности ухода
Уход за сортовой разновидностью Вега состоит из проведения подкормок, очистки почвы от засорений, полива и борьбы с вредителями.
Удобрение
Три раза за сезон Вега нуждается в корневой подкормке:
- во время активного роста зелёной массы и формирования клубней культуре нужны удобрения селитрой аммиака (20 г средства на 1 м²), раствором мочевины по 0,5 л под каждый куст (1 ст./10 л воды). Также на этом этапе можно использовать в качестве удобрений нитрофоску (50 г/1 м²) или нитроаммофоску (30 г/1 м²);
- во время бутонизации рекомендуется прибегнуть к подкормкам калийными веществами (20 г калия/1 м²). Можно соединить калий с золой древесины (1 ст./1 м²);
- на этапе цветения культура нуждается в фосфоре (30–40 г суперфосфата/1 м²).
Видео: Удобрение картофеля
Чистка от сорняков
Эта процедура должна проводиться регулярно, поскольку засорение может стать причиной появления болезней и вредителей на участке. Также это может спровоцировать переувлажнение почвы и вызвать гниение корнеплодов. Кроме того, почву необходимо рыхлить, особенно после поливов или затяжных дождливых периодов, с целью предотвращения образования корки на поверхности грунта и появления плесени.
В засушливые времена нужно проводить мульчирование земли вокруг куста, а также между рядами, что поможет сохранить жизненно необходимую культуре влагу и уберечь растение от высыхания. Мульчировать почву можно торфом, соломой, опилками, скошенной травой, прошлогодними листьями, корой, картоном, агроволокном, тёмной плёнкой.
Два раза за сезон сорт нуждается в окучивании: такая мера способствует правильному формированию клубней и предотвращает засорение посадки.
Полив
Увлажнение должно проводиться не часто, но обильно. Получить хороший урожай можно при условии, если глубина увлажнения почвы будет стабильно поддерживаться на уровне 40–45 см. Способ полива — капельное орошение, благодаря которому вода будет поступать непосредственно к корнеплодам.
Борьба с вредителями и болезнями
Вега имеет стойкий иммунитет к атакам картофельного рака, табачной мозаики, парши, чёрной ножки. Но растение может подвергнуться нападениям следующих заболеваний и вредителей:
- Фитофтороз — поражает листву, стебли и плоды культуры (гниль в виде коричневых пятен). Устранить болезнь поможет опрыскивание раствором купороса меди (10 г/10 л воды) или 1% раствором бордоской жидкости.

- Вертициллёзное и фузариозное увядание — грибковые болезни, что проявляются в период цветения культуры. При вертициллёзе первоначально увядают нижние листки картофеля, затем стебли и верхняя листва. Грибок поражает и корнеплоды — загнивают их глазки. При фузариозе схема увядания противоположная: от верха и до низа, распространяется болезнь мгновенно. Причины возникновения болезней — заражённая грибками почва или семена. Поражённые растения необходимо удалить с участка, а здоровые в целях профилактики обрызгать раствором «Дитана», «Максима», «Грифона», «Премьер Голда», «Ровраля Аквафло», строго соблюдая инструкции.

- Колорадский жук — прожорливое насекомое, что способно буквально поглощать картофельные кусты. Если вредитель только появился на участке в небольшом количестве, его вместе с личинками можно собирать вручную, помещать в ёмкость с солёной водой и уничтожать. Для устранения больших колоний вредителя придётся прибегнуть к помощи инсектицидов: «Сонета», «Престижа», «Конфидора» (раствор для обработки готовится строго по инструкции).

- Картофельный проволочник— светлый, жёсткий и прочный червяк длиной 3–4 см, который причиняет вред корнеплодам, просверливая в них сквозные дыры. Профилактическая мера от вредителя — разрывание червяка пополам, если он был обнаружен при подготовке почвы. Также в посадочную лунку необходимо вносить указанное в инструкции количество препарата «Базудин» или «Немабакт».

- Тля — зелёное или коричневое насекомое длиной 2,5–4 мм, пищей которого являются соки картошки. Сахаристые продукты выделения тли являются благоприятной средой для размножения сажистого грибка. Вредитель боится табачного настоя: 400 г табака заливают 2 л воды, кипят, оставляют на сутки, затем добавляют к смеси 40 г хозяйственного мыла, ведро воды и обрызгивают картофельные кусты.

- Трипсы — мелкие (0,5–2 мм) летающие насекомые бурого или грязно-жёлтого цвета. Если не присмотреться хорошо, то можно подумать, что на листве просто соринки. Насекомые повреждают зелень растений, оставляя после себя бурые пятна, которые вскоре чернеют. Прогнать их поможет чесночный настой: 150–200 г чеснока настаивают 5 суток в 1 л воды и процеживают. Для опрыскивания готовят раствор с использованием 60 мл настойки, 40 г хозяйственного мыла и ведра воды.
Сбор и хранение урожая
Собирать плоды описываемой сортовой разновидности, как и других видов картофеля, рекомендовано после того, как увянет ботва. Точное время сбора плодов зависит от региона, где высаживалась культура: в более тёплых можно собирать и в ноябре, в холодных — в сентябре. Главное — успеть до того, как начнутся заморозки.
Перед отправкой корнеплодов в место хранения необходимо провести сортировку: отобрать посадочный материал, отделить повреждённые, больные и слишком мелкие овощи.
Хранить корнеплоды рекомендовано в погребе или другом помещении, которое соответствует следующим критериям: сухость, темнота, прохладность. Оптимальная температура хранения — +2ºС…+4ºС. Если столбик термометра опустится ниже, то испортятся вкусовые качества овоща, а при повышении температуры он начнёт преждевременно прорастать.
Картофельный сорт Вега обладает хорошей сохранностью — 99% плодов успешно дожидаются нового урожая, при условии, что вы не успели их употребить в пищу.
Картофель Вега – характеристика сорта, отзывы, вкусовые качества, фото

Россия занимает III место по производству картофеля, но большая часть продукции потребляется на внутреннем рынке. Импорт по состоянию на 2017 год в 10 раз превысил экспорт, что заставляет аграриев более внимательно относиться к выбору посадочного материала. Исходя из описания сорта, фото и отзывов, картофель Вега достоин заменить устаревшие малопродуктивные культивары как в личных подсобных хозяйствах, так и на фермерских полях.
Характеристики сорта
Картофель сорта Вега создан немецкой компанией Норика (Norika), более 50 лет занимающейся селекцией культуры. Он успешно прошел испытания в России, в 2013 году принят Госреестром. Рекомендован к выращиванию в Центральном регионе.
В личных подсобных хозяйствах огородники сажают Вегу не только в Средней полосе. Благодаря раннему периоду созревания в регионах с прохладным климатом он успевает отдать урожай, а на юге – уйти от фитофторы.
Описание куста, клубней
Картофель Вега формирует куст среднего роста, полупрямостоячий или с растущими вертикально побегами. Листья темно-зеленые, с извилистым краем, цветки крупные, белые, иногда с едва заметным фиолетовым оттенком.

В каждом гнезде созревает 8-10 товарных клубней. Как видно на фото, при правильном уходе они выровненные, покрыты гладкой сетчатой кожурой желтого цвета. Вес средний – от 90 до 120 г, форма овальная.
Вега – картофель столового назначения, следовательно, у клубней немного глазков, они мелкие, кожура очищается с минимальными потерями. Мякоть плотная, упругая, желтая.

Вкусовые качества
От даты появления дружных всходов до момента сбора урожая картофеля Вега проходит 50-65 дней. Сорт ранний, в регионах с прохладным летом – среднеранний.
У клубней сорта Веги селекционерам удалось добиться высокой крахмалистости. Полисахаридов они содержат столько же, сколько лучший картофель среднего срока созревания – до 15%.
Так что вкус у Веги хороший, а как для раннего сорта – замечательный. Это отличная картошка для жарки и салатов. По отзывам, для пюре и запекания в духовке или на костре клубни подходят, но меньше. На разрезе не чернеют.
Урожайность и срок хранения
Картофель Вега показал хорошую продуктивность. С 1 гектара собирают от 229 до 377 ц. Для сравнения – контрольный сорт Волжанин в среднем дает 281 ц. Максимальный урожай Веги был зафиксирован в Тульской области – 484 ц с га.
Клубни могут храниться до года. Товарность их на уровне 87-95%. Лежкость – 99%. Сорт не склонен к прорастанию, что хорошо для хранения и потребления, но плохо при посадке.
Вега выносит заморозку клубней. Их нужно предварительно вымыть, нарезать, тщательно высушить кухонным полотенцем, разложить по порционным пакетам. Но так как этот сорт и без того отлично хранится, заморозку картофеля обычно производят в составе овощных смесей, для удобства.

Преимущества и недостатки сорта
Характеристики сорта Вега по большей части положительные.
| Достоинства | Недостатки |
|
|
Посадка
С хранения картофель сорта Вега достают за 30-35 суток до перемещения в грунт. Идеальный размер посадочного материала (100 г) практически совпадает с весом средних клубней сорта.
- Картофель перебрать.
- Помыть, залить клубни теплой водой (42-45 °С), дать остыть.
- Замочить в насыщенно-розовом растворе марганцовки на четверть часа. Тщательно ополоснуть.
- Обязательно обработать фунгицидом. Биопрепаратами – рекомендуется, стимуляторами – по желанию.
- Прорастить. Можно использовать любой удобный способ: в темноте или на свету, рассыпав тонким слоем на газетах либо во влажном субстрате.

Важно! Сорт Вега при провяливании клубней взойдет плохо. Нужно не упустить момент, и достать картофель с хранения вовремя.
Срок посадки наступит, когда земля прогреется до 10-12 °С. К этому времени картофель должен прорасти. Ямки копают на расстоянии 30-35 см, для удобства обработки в междурядьях оставляют 70 см. Глубина посадки клубней – максимум 8-10 см. На супесях ничего страшного не случится, если какая-то картофелина окажется ниже указанного уровня. Посадка на суглинистых почвах должна быть мельче.

Зависимо от региона и желания хозяев картофель можно размещать не только на обычных грядках. Его сажают:
- в траншеи;
- под пленку;
- на поднятые гряды;
- в компостные кучи или солому.
Важно! К числу «вредных советов» относится предпосадочное опудривание клубней золой. Так картофель получает химический шок, всходы проклевываются на неделю позже. Сторонникам операции рекомендуется провести эксперимент: посадить рядом несколько обработанных золой и нетронутых клубней.
Особенности выращивания и ухода
Картофель тепло- и светолюбив, относительно засухоустойчив, отзывчив на минеральные подкормки. Это и определяет требования культуры к выращиванию:
- богатый органикой, хорошо проницаемый для воды и воздуха, теплый грунт со слабокислой либо нейтральной реакцией;
- грядка должна быть хорошо освещена в течение всего дня;
- культура нуждается в повышенных дозах калия, умеренных – азота, фосфора (из грунта урожай выносит их мало).
Картофель не любит:
- свежий навоз;
- избыток азота – это ведет к заболеванию паршой, даже у сорта Вега;
- хлорсодержащих удобрений;
- затенения;
- частых поливов или дождливую погоду, особенно после цветения, в период созревания клубней;
- загущенных посадок;
- длительного похолодания.
Уход за картофелем заключается в следующем:
- Полив. Культура довольно засухоустойчива, но сорт Вега требователен к увлажнениям грунта, особенно в период формирования и раскрытия бутонов. Картофель засушливым жарким летом лучше полить один-два раза, но очень обильно. Причем ботву мочить не рекомендуется. Лучше положить шланг в междурядьях и дать влаге напитать землю. За 14 суток до предполагаемого сбора урожая поливы прекращают совсем. От дождя посадку накрывают целлофаном. Если этого не сделать, сохранность и лежкость клубней уменьшится.
- Подкормки. Здесь важно не перестараться. Кроме того, что избыток азота резко увеличивает вероятность заражения паршой (к этому же приведет «лишний» кальций), нитраты вызывают бурный рост надземной части в ущерб формированию клубней.
- Минимум дважды проводят окучивание. Первый раз – когда ботва достигнет высоты 10-20 см, второй – через 2 недели.
- Рыхление междурядий. Собственно, по правилам агротехники достаточно провести операцию дважды. Но если грядку с ранним картофелем шелушить 4-5 раз, проволочник культуру не потревожит.
Выкопку делают, когда устанавливается сухая погода, большая часть стеблей засохнет, а кожура картофеля перестанет отслаиваться от мякоти, даже если ее потереть интенсивно и жестко. Урожай на несколько часов оставляют на огороде, затем перемещают под навес.
Болезни и вредители
Все описания указывают на выдающуюся устойчивость сорта картофеля Вега к основным заболеваниям культуры. Фитофторой Вега поражается редко благодаря раннему созреванию. Заслугой селекционеров являются высокая устойчивость к нематоде, раку, черной ножке, средняя – к парше и мозаике. Профилактических обработок это не отменяет, особенно на полях и грядках, где не соблюдается севооборот.
Вега – перспективный урожайный немецкий сорт картофеля раннего срока созревания. В промышленных масштабах его рекомендуют выращивать в Средней полосе. Любители же сажают даже на границе зоны культивирования картофеля – Вега содержит столько же крахмала, как среднеспелые сорта, что делает его одним из самых вкусных в группе.
Отзывы
Сажаю Вегой часть участка, выделенного под картошку. Нравится по вкусу – для раннего сорта, вкусная. При варке не разваривается, держит форму, но не мыльная, как некоторые неразваривающиеся сорта. Отлично идет на жарку, в салаты, супы. Для пюре тоже можно использовать, но это не самый лучший вариант. Урожайность у меня средняя, разная по годам. Сорт практически не болеет.
Сажаю три года этот сорт. Вкусная ранняя картошка. В уходе не требовательная, но обязательно нужен полив в засушливый год, иначе сильно снижается урожайность по сравнению с другими сортами, которые у меня на участке. Клубни мельчают, становятся неправильной формы.
Хороший устойчивый сорт. Практически ничем не болеет. Кусты мощные, урожайность высокая. Любит подкормки и воду. По вкусу – нравится, для раннего сорта отличный.






